Welcome to Ichneumonid World
Home
ヒメバチ?
ヒメバチの生活
採集
標本作り
研究内容
写真集
ハチ
クモ
風景
その他の昆虫
コウチュウ
チョウ・ガ
両爬
Tips
ツツクモバチ
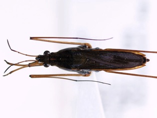
アメンボ
標本作り
ヤスマツ
ナミ
オオ
エサキ
コセアカ
ハネナシ
ヒメ
ヒメ分布図
トガリ
シマ
Key1
Key2
Key3
Key4
Key5
Key6
Key7
Key8
おさかなメモ
ビオトープ
■
アメンボ
ヒメアメンボ(
分布図
)
♂背面
♂背面ななめ
♂腹面
♂腹端背面
♂腹端腹面
♂腹端腹面ななめ
♀背面
♀背面ななめ
♀腹面
♀腹端背面
♀腹端腹面
♀腹端腹面ななめ
写真集
/
Home