| 科名 | 旧科名 | タイプ番号 | Family | Scientific Name和名 | Author | Locality | Literature | depository notes | view | thumbnail |
| オサムシ科 | | | Carabidae | Anisodactylus formosanus | N. ITO | | | T.Shibata Coll. (deposit) | | |
| オサムシ科 | | | Carabidae | Anisodactylus tricupidatus nomurai | N. ITO | | | T.Shibata Coll. (deposit) | | |
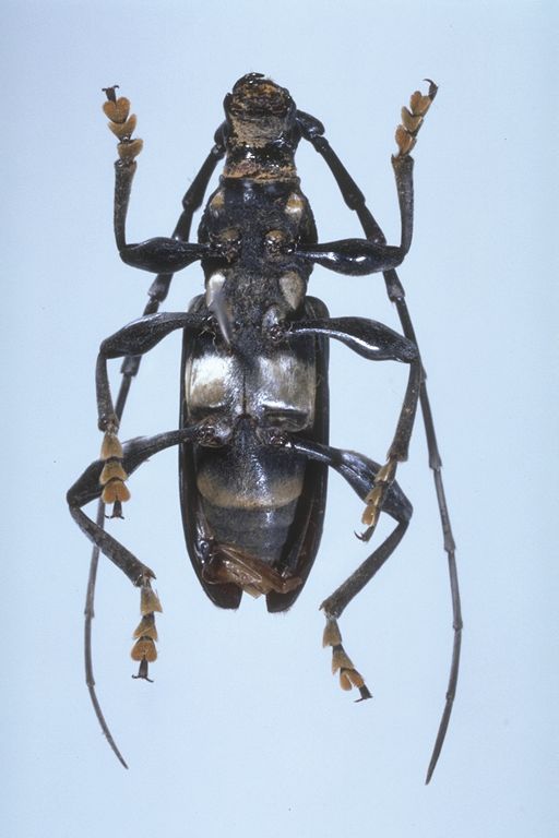
| オサムシ科 | | | Carabidae | Apotomopterus maiyasanus shigaraki | Hiura et Katsura, 1971 | | | | dorsal |  |
| オサムシ科 | | | Carabidae | Apotomopterus maiyasanus shigaraki | Hiura et Katsura, 1971 | | | | ventral |  |
| オサムシ科 | | | Carabidae | Armatolerides kenzanensis | ISHIDA et SHIBATA | | | T.Shibata Coll. (deposit) | | |
| オサムシ科 | | | Carabidae | Bradycellus confusus | JAERGER et WRASE | | | T.Shibata Coll. (deposit) | | |
| オサムシ科 | | | Carabidae | Bradycellus crassicerus crassiceru | N. ITO | | | T.Shibata Coll. (deposit) | | |
| オサムシ科 | | | Carabidae | Bradycellus crassicerus houhuanshanus | N. ITO | | | T.Shibata Coll. (deposit) | | |
| オサムシ科 | | | Carabidae | Bradycellus shibatai | N. ITO | | | T.Shibata Coll. (deposit) | | |
| オサムシ科 | | | Carabidae | Bradycellus yushanensis | N. ITO | | | T.Shibata Coll. (deposit) | | |
| オサムシ科 | | | Carabidae | Calathomimus masumotoi | N. ITO | | | T.Shibata Coll. (deposit) | | |
| オサムシ科 | | | Carabidae | Carabus (Adenocarabus) arboreus ohminensisコクロナガオサムシ | Harusawa, 1978 | Nara Pref., JAPAN | Bull. Osaka Mus. Nat. Hist. 31: 39. | | | LINK |
| オサムシ科 | | | Carabidae | Chydaeus doiinthanonensis | N. ITO | | | T.Shibata Coll. (deposit) | | |
| オサムシ科 | | | Carabidae | Chydaeus kumei | N. ITO | | | T.Shibata Coll. (deposit) | | |
| オサムシ科 | | | Carabidae | Chydaeus taichii | N. ITO | | | T.Shibata Coll. (deposit) | | |
| オサムシ科 | | | Carabidae | Coleolissus cyanescens | N. ITO | | | T.Shibata Coll. (deposit) | | |
| オサムシ科 | | | Carabidae | Coleolissus elongatus | N. ITO | | | T.Shibata Coll. (deposit) | | |
| オサムシ科 | | | Carabidae | Coleolissus formosanus | N. ITO | | | T.Shibata Coll. (deposit) | | |
| オサムシ科 | | | Carabidae | Coleolissus kiyoyamai | N. ITO | | | T.Shibata Coll. (deposit) | | |
| オサムシ科 | | | Carabidae | Coleolissus masumotoi | N. ITO | | | T.Shibata Coll. (deposit) | | |
| オサムシ科 | | | Carabidae | Coleolissus nigricans | N. ITO | | | T.Shibata Coll. (deposit) | | |
| オサムシ科 | | | Carabidae | Coleolissus nitidus | N. ITO | | | T.Shibata Coll. (deposit) | | |
| オサムシ科 | | | Carabidae | Coleolissus ohkurai | N. ITO | | | T.Shibata Coll. (deposit) | | |
| オサムシ科 | | | Carabidae | Coleolissus shibatai | N. ITO | | | T.Shibata Coll. (deposit) | | |
| オサムシ科 | | | Carabidae | Coleolissus similis | N. ITO | | | T.Shibata Coll. (deposit) | | |
| オサムシ科 | | | Carabidae | Colpodes ishidai | OHKURA et SHIBATA | | | T.Shibata Coll. (deposit) | | |
| オサムシ科 | | | Carabidae | Dolichoctis kuzugamii | SHIBATA | | | T.Shibata Coll. (deposit) | | |
| オサムシ科 | | | Carabidae | Harpaloxenus giganteus | N. ITO | | | T.Shibata Coll. (deposit) | | |
| オサムシ科 | | | Carabidae | Hyparpalus maniti maniti | N. ITO | | | T.Shibata Coll. (deposit) | | |
| オサムシ科 | | | Carabidae | Hyparpalus maniti similis | N. ITO | | | T.Shibata Coll. (deposit) | | |
| オサムシ科 | | | Carabidae | Hyphaereon borneensis | N. ITO | | | T.Shibata Coll. (deposit) | | |
| オサムシ科 | | OMNH TI 2 | Carabidae | Ohomopterus maiyasanus takiharensis | Katsura et Tominaga, 1978 | Mie Pref., JAPAN | Bull. Osaka Mus. Nat. Hist. 31: 47-60. | | | LINK |
| オサムシ科 | | OMNH TI 514 | Carabidae | Oxycentrus (Oxycentrus) angustipennis | N. Ito | , | | | | |
| オサムシ科 | | OMNH TI 512 | Carabidae | Oxycentrus (Oxycentrus) laetus | N. Ito | , | | | | |
| オサムシ科 | | OMNH TI 511 | Carabidae | Oxycentrus (Oxycentrus) scabericollis | N. Ito | , | | | | |
| オサムシ科 | | OMNH TI 513 | Carabidae | Oxycentrus (Oxycentrus) sulciclypeus | N. Ito | , | | | | |
| オサムシ科 | | | Carabidae | Oxycentrus quadricollis | N. ITO | | | T.Shibata Coll. (deposit) | | |
| オサムシ科 | | | Carabidae | Oxycentrus shibatai | N. ITO | | | T.Shibata Coll. (deposit) | | |
| オサムシ科 | | | Carabidae | Oxycentrus siamensis | N. ITO | | | T.Shibata Coll. (deposit) | | |
| オサムシ科 | | | Carabidae | Oxycentrus subdepressus | N. ITO | | | T.Shibata Coll. (deposit) | | |
| オサムシ科 | | | Carabidae | Oxycentrus subovatus | N. ITO | | | T.Shibata Coll. (deposit) | | |
| オサムシ科 | | | Carabidae | Parena circumdata | SHIBATA | | | T.Shibata Coll. (deposit) | | |
| オサムシ科 | | | Carabidae | Parena monticola | SHIBATA | | | T.Shibata Coll. (deposit) | | |
| オサムシ科 | | | Carabidae | Pseudomenarus flavomaculatus | SHIBATA | | | T.Shibata Coll. (deposit) | | |
| オサムシ科 | | | Carabidae | Pterostichus biexcisus kawanoi | ISHIDA | | | T.Shibata Coll. (deposit) | | |
| オサムシ科 | | | Carabidae | Trichotichnus chugokuensis | N. ITO | | | T.Shibata Coll. (deposit) | | |
| オサムシ科 | | | Carabidae | Trichotichnus fulgidius | N. ITO | | | T.Shibata Coll. (deposit) | | |
| オサムシ科 | | | Carabidae | Trichotichnus isamutanakai | N. ITO | | | T.Shibata Coll. (deposit) | | |
| オサムシ科 | | | Carabidae | Trichotichnus ishidai | N. ITO | | | T.Shibata Coll. (deposit) | | |
| オサムシ科 | | | Carabidae | Trichotichnus ishiharai | N. ITO | | | T.Shibata Coll. (deposit) | | |
| オサムシ科 | | | Carabidae | Trichotichnus latemarginatus | N. ITO | | | T.Shibata Coll. (deposit) | | |
| オサムシ科 | | | Carabidae | Trichotichnus masaohayashii | N. ITO | | | T.Shibata Coll. (deposit) | | |
| オサムシ科 | | | Carabidae | Trichotichnus ovaloformis | N. ITO | | | T.Shibata Coll. (deposit) | | |
| オサムシ科 | | | Carabidae | Trichotichnus piceus | N. ITO | | | T.Shibata Coll. (deposit) | | |
| オサムシ科 | | | Carabidae | Trichotichnus watamukiensis | N. ITO | | | T.Shibata Coll. (deposit) | | |
| ゲンゴロウ科 | | | Dytiscidae | Coelambus impressopunctatus hiurai | M. Sato, 1972 | Hokkaido JAPAN | | | | |
| ゲンゴロウ科 | | OMNH TI 60 | Dytiscidae | Hydroratus yagii | Kitayama, Mori et Matsui, 1993 | Hyogo, JAPAN | Akitu (137): 1-4. | | | |
| エンマムシ科 | | | Histeridae | Boreochlamydus ohtanii | SAWADA | | | T.Shibata Coll. (deposit) | | |
| タマキノコムシ科 | 旧チビシデムシ科 | | Leiodidae | Anemadiola itotateoi | Hayashi, 1990 | | | T.Shibata Coll. (deposit) | | |
| タマキノコムシ科 | 旧チビシデムシ科 | | Leiodidae | Caatops taiwanensis | Hayashi | | | T.Shibata Coll. (deposit) | | |
| タマキノコムシ科 | 旧チビシデムシ科 | | Leiodidae | Caatops tanbaensis | Hayashi | | | T.Shibata Coll. (deposit) | | |
| タマキノコムシ科 | 旧チビシデムシ科 | | Leiodidae | Catops amamiensis | Hayashi | | | T.Shibata Coll. (deposit) | | |
| タマキノコムシ科 | 旧チビシデムシ科 | | Leiodidae | Catops andoi | Hayashi | | | T.Shibata Coll. (deposit) | | |
| タマキノコムシ科 | 旧チビシデムシ科 | | Leiodidae | Catops miensis formosensis | Hayashi | | | T.Shibata Coll. (deposit) | | |
| タマキノコムシ科 | 旧チビシデムシ科 | | Leiodidae | Catops nomurai | Hayashi | | | T.Shibata Coll. (deposit) | | |
| タマキノコムシ科 | 旧チビシデムシ科 | | Leiodidae | Catops shibatai | Hayashi | | | T.Shibata Coll. (deposit) | | |
| タマキノコムシ科 | 旧チビシデムシ科 | | Leiodidae | Prionochaeta harmandi insulana | Hayashi | | | T.Shibata Coll. (deposit) | | |
| タマキノコムシ科 | 旧チビシデムシ科 | | Leiodidae | Ptomaphaginus shibatai | Hayashi | | | T.Shibata Coll. (deposit) | | |
| タマキノコムシ科 | 旧チビシデムシ科 | | Leiodidae | Sciodrepoides dubius | Hayashi | | | T.Shibata Coll. (deposit) | | |
| シデムシ科 | | | Silphidae | Eusilpha jokowlewi similator | Shibata | | | T.Shibata Coll. (deposit) | | |
| シデムシ科 | | | Silphidae | Praranecrophilus nomurai | Shibata | | | T.Shibata Coll. (deposit) | | |
| シデムシ科 | | | Silphidae | Silpha imitator | Shibata | | | T.Shibata Coll. (deposit) | | |
| ハネカクシ科 | | | Staphylinidae | Achenomorphs yakushimanus | T. Ito | | | T.Shibata Coll. (deposit) | | |
| ハネカクシ科 | | | Staphylinidae | Acylophorus hayashii | A. Smetana | | | T.Shibata Coll. (deposit) | | |
| ハネカクシ科 | | | Staphylinidae | Agelosus ohkurai | Hayashi | | | T.Shibata Coll. (deposit) | | |
| ハネカクシ科 | | | Staphylinidae | Agelosus unicolor masaoi | Hayashi | | | T.Shibata Coll. (deposit) | | |
| ハネカクシ科 | | OMNH TI 161 | Staphylinidae | Amichrotus watanabei | Hayashi, 2002 | | NABESANIA. | | | |
| ハネカクシ科 | | | Staphylinidae | Anisolinus kawanoi | K. Sawada (=tsurugiensis) | | | T.Shibata Coll. (deposit) | | |
| ハネカクシ科 | | | Staphylinidae | Anisolinus masumotoi | T.ITO, 2011 | | | | | |
| ハネカクシ科 | | | Staphylinidae | Astenus shibatai | T. Ito | | | T.Shibata Coll. (deposit) | | |
| ハネカクシ科 | | | Staphylinidae | Astenus taiwanus | T. Ito | | | T.Shibata Coll. (deposit) | | |
| ハネカクシ科 | | | Staphylinidae | Astenus yonezoi | T. Ito | | | T.Shibata Coll. (deposit) | | |
| ハネカクシ科 | | | Staphylinidae | Atopolinus itoi | Bordoni, 1997 | | | | | |
| ハネカクシ科 | | | Staphylinidae | Atopolinus regalis | Bordoni, 1997 | | | | | |
| ハネカクシ科 | | | Staphylinidae | Atopolinus sulcatus | Bordoni, 2003 | | | | | |
| ハネカクシ科 | | OMNH TI 204 | Staphylinidae | Coprotricus kameii | Hayashi, 2005 | Miyagi Pref., JAPAN | Entomol. Rev. Jpn. 60(1):63-67. | | | |
| ハネカクシ科 | | | Staphylinidae | Cyrtothorax taiwanensis | Hayashi | | | T.Shibata Coll. (deposit) | | |
| ハネカクシ科 | | | Staphylinidae | Deleaster taiwanensis | Hayashi | | | T.Shibata Coll. (deposit) | | |
| ハネカクシ科 | | OMNH TI 131 | Staphylinidae | Dorcophilontus clavicornis | Hayashi, 2000 | NE. INDIA | Entomol. Rev. Jpn. 55(1):15-24. | | | |
| ハネカクシ科 | | | Staphylinidae | Erichsonius itoi | UHlig et WATANABE, 1992 | | | | | |
| ハネカクシ科 | | | Staphylinidae | Eucibdelus (Neocibdelus) orientalis | Hayashi | | | T.Shibata Coll. (deposit) | | |
| ハネカクシ科 | | | Staphylinidae | Eucibdelus (Paraeucibdelus) yunnanensis | Hayashi | | | T.Shibata Coll. (deposit) | | |
| ハネカクシ科 | | | Staphylinidae | Eucibdelus (Pareucibdelus) shibatai | Hayashi | | | T.Shibata Coll. (deposit) | | |
| ハネカクシ科 | | | Staphylinidae | Gyrohypnus maximus | Bordoni, 1997 | | | | | |
| ハネカクシ科 | | | Staphylinidae | Hesperosoma hasuoi | T.ITO, 2011 | | | | | |
| ハネカクシ科 | | | Staphylinidae | Hesperosoma miwai nanshanchiana | Hayashi | | | T.Shibata Coll. (deposit) | | |
| ハネカクシ科 | | | Staphylinidae | Hesperosoma sakoi | Hayashi | | | T.Shibata Coll. (deposit) | | |
| ハネカクシ科 | | | Staphylinidae | Hesperosoma vietnamense | T.ITO, 2011 | | | | | |
| ハネカクシ科 | | | Staphylinidae | Hesperosoma yasuhikoi | T.ITO, 2011 | | | | | |
| ハネカクシ科 | | | Staphylinidae | Hesperus ignorsstus | T. Ito | | | T.Shibata Coll. (deposit) | | |
| ハネカクシ科 | | | Staphylinidae | Heterothops ishiharai | T. Ito | | | T.Shibata Coll. (deposit) | | |
| ハネカクシ科 | | | Staphylinidae | Lathrobium daibosatsu | (T.ITO, 2009) | | | | | |
| ハネカクシ科 | | OMNH TI 124 | Staphylinidae | Lathrobium hayashii | Hayashi, 1999 | Mt. Kongo, Osaka Pref., JAPAN | Entomol. Rev. Jpn. 54(2):147-150. | | | LINK |
| ハネカクシ科 | | | Staphylinidae | Lathrobium ishidai | Hayashi | | | T.Shibata Coll. (deposit) | | |
| ハネカクシ科 | | | Staphylinidae | Lathrobium ishiharai | Hayashi | | | T.Shibata Coll. (deposit) | | |
| ハネカクシ科 | | | Staphylinidae | Lathrobium kitayamai | T.ITO, 2009 | | | | | |
| ハネカクシ科 | | | Staphylinidae | Lathrobium ohkurai | Hayashi | | | T.Shibata Coll. (deposit) | | |
| ハネカクシ科 | | | Staphylinidae | Liotesba itoi | Bordoni, 2002 | | | | | |
| ハネカクシ科 | | | Staphylinidae | Liotesba oculifers | Bordoni, 2002 | | | | | |
| ハネカクシ科 | | | Staphylinidae | Liotesba rufula | Bordoni, 2002 | | | | | |
| ハネカクシ科 | | | Staphylinidae | Lobrathium amamiense | T. Ito | | | T.Shibata Coll. (deposit) | | |
| ハネカクシ科 | | | Staphylinidae | Lobrathium hokkaidense | T. Ito | | | T.Shibata Coll. (deposit) | | |
| ハネカクシ科 | | | Staphylinidae | Lobrathium isamutanakai | T.ITO, 2009 | | | | | |
| ハネカクシ科 | | | Staphylinidae | Lobrathium ishidai | T. Ito | | | T.Shibata Coll. (deposit) | | |
| ハネカクシ科 | | | Staphylinidae | Lobrathium ishizuchienze | T. Ito | | | T.Shibata Coll. (deposit) | | |
| ハネカクシ科 | | | Staphylinidae | Lobrathium kujuense | T.ITO, 2013 | | | | | |
| ハネカクシ科 | | | Staphylinidae | Lobrathium mizunoi | T. Ito | | | T.Shibata Coll. (deposit) | | |
| ハネカクシ科 | | | Staphylinidae | Lobrathium nipponense | T. Ito | | | T.Shibata Coll. (deposit) | | |
| ハネカクシ科 | | | Staphylinidae | Lobrathium ohkurai | T. Ito | | | T.Shibata Coll. (deposit) | | |
| ハネカクシ科 | | | Staphylinidae | Lobrathium okamotoi | T. Ito | | | T.Shibata Coll. (deposit) | | |
| ハネカクシ科 | | | Staphylinidae | Lobrathium ryukyuense | T. Ito | | | T.Shibata Coll. (deposit) | | |
| ハネカクシ科 | | | Staphylinidae | Lobrathium sasajii | T.ITO, 2007 | | | | | |
| ハネカクシ科 | | | Staphylinidae | Lobrathium shibatai | T. Ito | | | T.Shibata Coll. (deposit) | | |
| ハネカクシ科 | | | Staphylinidae | Lobrathium shibatai varium | T. Ito | | | T.Shibata Coll. (deposit) | | |
| ハネカクシ科 | | | Staphylinidae | Lomechusa hosodai | K. Sawada | | | T.Shibata Coll. (deposit) | | |
| ハネカクシ科 | | | Staphylinidae | Lomechusa throngensis | K. Sawada | | | T.Shibata Coll. (deposit) | | |
| ハネカクシ科 | | | Staphylinidae | Lordithon hosodai | KATAYAMA et T.ITO, 2010 | | | | | |
| ハネカクシ科 | | | Staphylinidae | Lordithon takashii | KATAYAMA et T.ITO, 2010 | | | | | |
| ハネカクシ科 | | | Staphylinidae | Metolinus alabensis | Bordoni, 2002 | | | | | |
| ハネカクシ科 | | | Staphylinidae | Metolinus itoi | Bordoni, 2003 | | | | | |
| ハネカクシ科 | | | Staphylinidae | Nazeris alishanus | T. Ito | | | T.Shibata Coll. (deposit) | | |
| ハネカクシ科 | | | Staphylinidae | Nazeris angustus | T. Ito | | | T.Shibata Coll. (deposit) | | |
| ハネカクシ科 | | | Staphylinidae | Nazeris femoralis | T. Ito | | | T.Shibata Coll. (deposit) | | |
| ハネカクシ科 | | | Staphylinidae | Nazeris gotoi | T. Ito | | | T.Shibata Coll. (deposit) | | |
| ハネカクシ科 | | | Staphylinidae | Nazeris hayashii | T.ITO, 1999 | | | | | |
| ハネカクシ科 | | | Staphylinidae | Nazeris hikosanus | T. Ito | | | T.Shibata Coll. (deposit) | | |
| ハネカクシ科 | | | Staphylinidae | Nazeris hisamatsui | T. Ito | | | T.Shibata Coll. (deposit) | | |
| ハネカクシ科 | | | Staphylinidae | Nazeris isaotakanoi | T.ITO, 2010 | | | | | |
| ハネカクシ科 | | | Staphylinidae | Nazeris izuensis | T.ITO, 2009 | | | | | |
| ハネカクシ科 | | | Staphylinidae | Nazeris masaohayashii | T. Ito | | | T.Shibata Coll. (deposit) | | |
| ハネカクシ科 | | | Staphylinidae | Nazeris matsudai | T. Ito | | | T.Shibata Coll. (deposit) | | |
| ハネカクシ科 | | | Staphylinidae | Nazeris nipponicus | T. Ito | | | T.Shibata Coll. (deposit) | | |
| ハネカクシ科 | | | Staphylinidae | Nazeris ohkurai | T. Ito | | | T.Shibata Coll. (deposit) | | |
| ハネカクシ科 | | | Staphylinidae | Nazeris okinawanus | T. Ito | | | T.Shibata Coll. (deposit) | | |
| ハネカクシ科 | | | Staphylinidae | Nazeris omogoensis | T. Ito | | | T.Shibata Coll. (deposit) | | |
| ハネカクシ科 | | | Staphylinidae | Nazeris pacificus | T. Ito | | | T.Shibata Coll. (deposit) | | |
| ハネカクシ科 | | | Staphylinidae | Nazeris shibatai | T. Ito | | | T.Shibata Coll. (deposit) | | |
| ハネカクシ科 | | | Staphylinidae | Nazeris shizukuishii | T.ITO, 2010 | | | | | |
| ハネカクシ科 | | | Staphylinidae | Nazeris taichii | T.ITO, 2008 | | | | | |
| ハネカクシ科 | | | Staphylinidae | Nazeris taiwanus | T.Ito | | | T.Shibata Coll. (deposit) | | |
| ハネカクシ科 | | | Staphylinidae | Nazeris tramtonus | T.ITO, 2010 | | | | | |
| ハネカクシ科 | | | Staphylinidae | Nazeris validus | T. Ito | | | T.Shibata Coll. (deposit) | | |
| ハネカクシ科 | | | Staphylinidae | Nazeris vietnamensis | T.ITO, 2010 | | | | | |
| ハネカクシ科 | | | Staphylinidae | Nazeris vuvanlieni | T.ITO, 2010 | | | | | |
| ハネカクシ科 | | | Staphylinidae | Nazeris wollastoni harimanus | T. Ito | | | T.Shibata Coll. (deposit) | | |
| ハネカクシ科 | | | Staphylinidae | Nazeris wollastoni kyotensis | T. Ito | | | T.Shibata Coll. (deposit) | | |
| ハネカクシ科 | | | Staphylinidae | Nazeris wollastoni peninsuralis | T. Ito | | | T.Shibata Coll. (deposit) | | |
| ハネカクシ科 | | | Staphylinidae | Nazeris yaeyamanus | T.ITO, 2008 | | | | | |
| ハネカクシ科 | | | Staphylinidae | Nazeris yasuakii | T.ITO, 2003 | | | | | |
| ハネカクシ科 | | | Staphylinidae | Nazeris yoshidai | T.ITO, 1997 | | | | | |
| ハネカクシ科 | | | Staphylinidae | Nudobius lishanensis | Bordoni | | | T.Shibata Coll. (deposit) | | |
| ハネカクシ科 | | | Staphylinidae | Nudobius shan | Bordoni | | | T.Shibata Coll. (deposit) | | |
| ハネカクシ科 | | | Staphylinidae | Ochthephilum biwakense | T.ITO, 2008 | | | | | |
| ハネカクシ科 | | | Staphylinidae | Ochthephilum harusawai | T. Ito | | | T.Shibata Coll. (deposit) | | |
| ハネカクシ科 | | | Staphylinidae | Ochthephilum hokkaidense | T.ITO, 2008 | | | | | |
| ハネカクシ科 | | | Staphylinidae | Ochthephilum kurosai | T. Ito | | | T.Shibata Coll. (deposit) | | |
| ハネカクシ科 | | | Staphylinidae | Ochthephilum shibatai | T. Ito | | | T.Shibata Coll. (deposit) | | |
| ハネカクシ科 | | | Staphylinidae | Ochthephilum shinanense | T.ITO, 2008 | | | | | |
| ハネカクシ科 | | | Staphylinidae | Oculolabrus laotianus | Bordoni, 2003 | | | | | |
| ハネカクシ科 | | | Staphylinidae | Oedichirus kurosio | Hayashi | | | T.Shibata Coll. (deposit) | | |
| ハネカクシ科 | | | Staphylinidae | Othius amamianus | T. Ito | | | T.Shibata Coll. (deposit) | | |
| ハネカクシ科 | | | Staphylinidae | Othius latus ozakii | T. Ito | | | T.Shibata Coll. (deposit) | | |
| ハネカクシ科 | | | Staphylinidae | Othius medius kusuii | T. Ito | | | T.Shibata Coll. (deposit) | | |
| ハネカクシ科 | | | Staphylinidae | Othius medius yakushimanus | T. Ito | | | T.Shibata Coll. (deposit) | | |
| ハネカクシ科 | | | Staphylinidae | Othius shibatai | T. Ito | | | T.Shibata Coll. (deposit) | | |
| ハネカクシ科 | | | Staphylinidae | Othius taiwanus | T. Ito | | | T.Shibata Coll. (deposit) | | |
| ハネカクシ科 | | | Staphylinidae | Othius yushanensis | T. Ito | | | T.Shibata Coll. (deposit) | | |
| ハネカクシ科 | | | Staphylinidae | Oxyporus itoi | Hayashi | | | T.Shibata Coll. (deposit) | | |
| ハネカクシ科 | | | Staphylinidae | Oxyporus loloshanus | Hayashi | | | T.Shibata Coll. (deposit) | | |
| ハネカクシ科 | | | Staphylinidae | Oxyporus nigerrimus | Hayashi | | | T.Shibata Coll. (deposit) | | |
| ハネカクシ科 | | | Staphylinidae | Oxyporus shibatai | Hayashi | | | T.Shibata Coll. (deposit) | | |
| ハネカクシ科 | | | Staphylinidae | Oxyporus taiwanensis | Hayashi | | | T.Shibata Coll. (deposit) | | |
| ハネカクシ科 | | | Staphylinidae | Oxytelopsis shibatai | T. Ito | | | T.Shibata Coll. (deposit) | | |
| ハネカクシ科 | | | Staphylinidae | Oxytelopsis taiwanus | T. Ito | | | T.Shibata Coll. (deposit) | | |
| ハネカクシ科 | | | Staphylinidae | Oxytelus (Tanycraerus) montivagus | T. Ito | | | T.Shibata Coll. (deposit) | | |
| ハネカクシ科 | | | Staphylinidae | Oxytelus (Tanycraerus) takahashii | T. Ito | | | T.Shibata Coll. (deposit) | | |
| ハネカクシ科 | | OMNH TI 121 | Staphylinidae | Paraphytolinus sumatrensis | Hayashi, 1999 | Smatra, INDNESIA | Entomol. Rev. Jpn. 54(1):25-33. | | | LINK |
| ハネカクシ科 | | | Staphylinidae | Paratachinus punctatissimus | Hayashi | | | T.Shibata Coll. (deposit) | | |
| ハネカクシ科 | | OMNH TI 175 | Staphylinidae | Paratachinus takashii | Hayashi, 2003 | Iriomote Is., Okinawa Pref., JAPAN | Entomol. Rev. Jpn. 58(2):113-119. | | | |
| ハネカクシ科 | | OMNH TI 174 | Staphylinidae | Paratachinus yamato | Hayashi, 2003 | Nara Pref., JAPAN | Entomol. Rev. Jpn. 58(2):133-141. | | | |
| ハネカクシ科 | | | Staphylinidae | Paratesba gigantea | Bordoni, 1997 | | | | | |
| ハネカクシ科 | | | Staphylinidae | Paratesba inaequata | Bordoni, 1997 | | | | | |
| ハネカクシ科 | | | Staphylinidae | Paratesba siamensis | Bordoni, 1997 | | | | | |
| ハネカクシ科 | | | Staphylinidae | Philonthus amamiensis | Hayashi | | | T.Shibata Coll. (deposit) | | |
| ハネカクシ科 | | | Staphylinidae | Philonthus kiyoyamai | Hayashi | | | T.Shibata Coll. (deposit) | | |
| ハネカクシ科 | | | Staphylinidae | Philonthus prolatus chonrima | Hayashi | | | T.Shibata Coll. (deposit) | | |
| ハネカクシ科 | | | Staphylinidae | Philonthus prolatus ezoensis | Hayashi | | | T.Shibata Coll. (deposit) | | |
| ハネカクシ科 | | | Staphylinidae | Philydrodes (s. str.) kawaseorum | Hayashi | | | T.Shibata Coll. (deposit) | | |
| ハネカクシ科 | | | Staphylinidae | Platydracus amamiensis | T. Ito | | | T.Shibata Coll. (deposit) | | |
| ハネカクシ科 | | | Staphylinidae | Proteinus ezoensis | Hayashi | | | T.Shibata Coll. (deposit) | | |
| ハネカクシ科 | | | Staphylinidae | Proteinus gotoi | Hayashi | | | T.Shibata Coll. (deposit) | | |
| ハネカクシ科 | | | Staphylinidae | Proteinus sawadai | Hayashi | | | T.Shibata Coll. (deposit) | | |
| ハネカクシ科 | | | Staphylinidae | Proteinus shibatai | Hayashi | | | T.Shibata Coll. (deposit) | | |
| ハネカクシ科 | | | Staphylinidae | Proteinus tateoitoi | Hayashi | | | T.Shibata Coll. (deposit) | | |
| ハネカクシ科 | | OMNH TI 141 | Staphylinidae | Proteinus yoshidai | Hayashi, 2000 | Mt. Tsurugi, Tokushima Pref., JAPAN | Entomol. Rev. Jpn. 55(2):91-94. | | | |
| ハネカクシ科 | | | Staphylinidae | Psephidonus formosanus | Hayashi | | | T.Shibata Coll. (deposit) | | |
| ハネカクシ科 | | | Staphylinidae | Psephidonus ohkurai | Hayashi | | | T.Shibata Coll. (deposit) | | |
| ハネカクシ科 | | | Staphylinidae | Psephidonus ohkurai yushanensis | Hayashi | | | T.Shibata Coll. (deposit) | | |
| ハネカクシ科 | | | Staphylinidae | Pseudobium yutakakimurai | Hayashi | | | T.Shibata Coll. (deposit) | | |
| ハネカクシ科 | | OMNH TI 140 | Staphylinidae | Pseudodysanellus sasajii | Hayashi, 2001 | | Special Publication of the Japan Coleopterological Society 1: 363-370. | | | |
| ハネカクシ科 | | | Staphylinidae | Pseudoxyporus masatoi | T.ITO, 1999 | | | | | |
| ハネカクシ科 | | | Staphylinidae | Quedius (Microsaurus) flavocaudatus | Hayashi | | | T.Shibata Coll. (deposit) | | |
| ハネカクシ科 | | | Staphylinidae | Quedius (Microsaurus) sunkangensis | Hayashi | | | T.Shibata Coll. (deposit) | | |
| ハネカクシ科 | | | Staphylinidae | Quedius chiaw | A. Smetana | | | T.Shibata Coll. (deposit) | | |
| ハネカクシ科 | | | Staphylinidae | Scaphidium shibatai | Kimura | | | T.Shibata Coll. (deposit) | | |
| ハネカクシ科 | | | Staphylinidae | Stilicoderus duplicatus | T. Ito, | | | T.Shibata Coll. (deposit) | | |
| ハネカクシ科 | | | Staphylinidae | Stilicopsis insulicola | T. Ito | | | T.Shibata Coll. (deposit) | | |
| ハネカクシ科 | | | Staphylinidae | Tachinus (Latotachinus) insularis | Hayashi | | | T.Shibata Coll. (deposit) | | |
| ハネカクシ科 | | | Staphylinidae | Tachinus (Latotachinus) shibatai | Hayashi | | | T.Shibata Coll. (deposit) | | |
| ハネカクシ科 | | | Staphylinidae | Tachinus (S.str.) alishanensis | Hayashi | | | T.Shibata Coll. (deposit) | | |
| ハネカクシ科 | | | Staphylinidae | Tachinus kasugaensis | T. Ito | | | T.Shibata Coll. (deposit) | | |
| ハネカクシ科 | | | Staphylinidae | Tachinus masaohayashii | Hayashi | | | T.Shibata Coll. (deposit) | | |
| ハネカクシ科 | | | Staphylinidae | Tachinus yasutoshii | T. Ito | | | T.Shibata Coll. (deposit) | | |
| ハネカクシ科 | | | Staphylinidae | Thyreocephalus lacustris | Bordoni, 2003 | | | | | |
| センチコガネ科 | | | Geotrupidae | Bolbelasmus shibatai | MASUMOTO | | | T.Shibata Coll. (deposit) | | |
| クワガタムシ科 | | OMNH TI 221 | Lucanidae | Cercus chuduraziensis | Okuda (予定) | , | | | | |
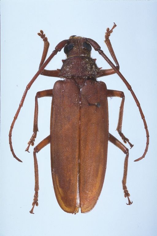
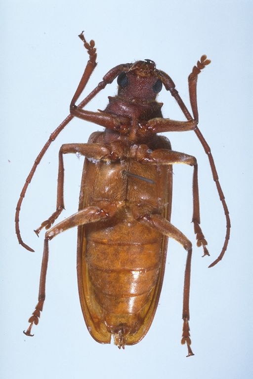
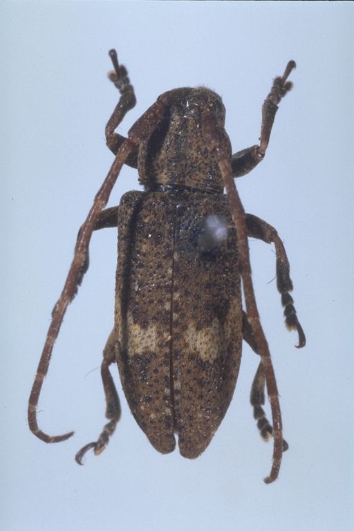
| クワガタムシ科 | | OMNH TI 52 | Lucanidae | Ceruchus minor | Tanikado et Okuda, 1994 | Shaanxi CHINA | Gekkan-Mushi (278): 4-9. | | | LINK |
| クワガタムシ科 | | OMNH TI 128 | Lucanidae | Dorcus bandaensis | Okuda, 2000 | BORNEO | Kogane 1:5-8. | | | |
| クワガタムシ科 | | | Lucanidae | Macrodorcus rectus amamiana | NOMURA | | | T.Shibata Coll. (deposit) | | |
| クワガタムシ科 | | OMNH TI 203 | Lucanidae | Nigidius sukkiti | Okuda, 2005 | NE. Kachin, MYANMAR | Gekkan-Mushi (414):39-41. | | | |
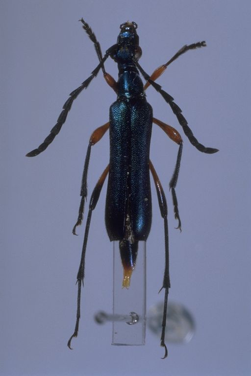
| クワガタムシ科 | | OMNH TI 75 | Lucanidae | Platycerus businskyi bashanicus | Imura et Tanikado, 1998 | Sichuan, CHINA | Jpn. J. Syst. Entomol. 4(1): 93. | | | LINK |
| クワガタムシ科 | | | Lucanidae | Platycerus businskyi bashanicus | Imura et Tanikado, 1998 | | | | dorsal |  |
| クワガタムシ科 | | OMNH TI 98 | Lucanidae | Platycerus cousimilis | Tanikado et Tabana, 1998 | Sichuan, CHINA | Gekkan-Mushi (333):13-17. | | | LINK |
| クワガタムシ科 | | OMNH TI 67 | Lucanidae | Platycerus feminatus | Tanikado et Tabana, 1997 | Sichuan, CHINA | Gekkan-Mushi (316):4-8. | | | LINK |
| クワガタムシ科 | | OMNH TI 68 | Lucanidae | Platycerus hiurai | Tanikado et Tabana, 1997 | Sichuan, CHINA | Gekkan-Mushi (316):4-8. | | | LINK |
| クワガタムシ科 | | OMNH TI 62 | Lucanidae | Platycerus hongwonpyoi dabashanensis | Okuda, 1997 | Sichuan, CHINA | Gekkan-Mushi (313): 9-12. | | | LINK |
| クワガタムシ科 | | OMNH TI 505 | Lucanidae | Platycerus hongwonpyoi quanbaoshanus | | , | | | | |
| クワガタムシ科 | | OMNH TI 76 | Lucanidae | Platycerus kitawakii | Imura et Tanikado, 1998 | Sichuan, CHINA | Jpn. J. Syst. Entomol. 4(1): 95. | | | LINK |
| クワガタムシ科 | | OMNH TI 504 | Lucanidae | Platycerus masumotoi | | , | | | | |
| クワガタムシ科 | | OMNH TI 74 | Lucanidae | Platycerus miyatakei | Tanikado et Tabana, 1998 | Sichuan, CHINA | Gekkan-Mushi (324): 23-26. | | | LINK |
| クワガタムシ科 | | OMNH TI 61 | Lucanidae | Platycerus rugosus | Okuda, 1997 | Sichuan, CHINA | Gekkan-Mushi (313): 9-12. | | | LINK |
| クワガタムシ科 | | OMNH TI 53 | Lucanidae | Platycerus tabanai | Tanikado et Okuda, 1994 | Shaanxi, CHINA | Gekkan-Mushi (278): 4-9. | | | LINK |
| クワガタムシ科 | | OMNH TI 168 | Lucanidae | Platycerus tabanai taibaishanesis | Okuda, 2003 | Shaanxi, CHINA | Kogane 4:23-26 | | | |
| アツバコガネ科 | | OMNH TI 31 | Hybosoridae | Madrasostes kazumai | Ochi, Johki et Nakata, 1990 | Nakanoshima Is., Tokara Iss., Kagoshima Pref., JAPAN | Jpn. J. Entomol. 58(1): 31-34. | | | LINK |
| コガネムシ科 | | | Scarabaeidae | Aphodius zeni | Ochi, 1991 | Sungkan TAIWAN | | | | |
| コガネムシ科 | | OMNH TI 500 | Scarabaeidae | Asactopholis masumotoi | Matsumoto, 2011 | , | | | | |
| コガネムシ科 | | | Scarabaeidae | Brahmina sakishimana | NOMURA | | | T.Shibata Coll. (deposit) | | |
| コガネムシ科 | | OMNH TI 515 | Scarabaeidae | Glacilitarsus thailandicus | Matsumoto, 2014 | , | | | | |
| コガネムシ科 | | ONNH TI 397 | Scarabaeidae | H. malindangensis | | ミンダナオ | | | | |
| コガネムシ科 | | ONNH TI 396 | Scarabaeidae | H. mindoropalawana | | フィリピン | | | | |
| コガネムシ科 | | ONNH TI 398 | Scarabaeidae | H. tenuitibialis | | ミンドロ産 | | | | |
| コガネムシ科 | | OMNH TI 169 | Scarabaeidae | Holotrichia angulanispina | Itoh, 2003 | | Elytra 31(2): 371-378. | | | |
| コガネムシ科 | | ONNH TI 395 | Scarabaeidae | Holotrichia bicallosicalva | | ミンドロ産 | | | | |
| コガネムシ科 | | OMNH TI 170 | Scarabaeidae | Holotrichia cebuana | Itoh, 2003 | | Elytra 31(2): 371-378. | | | |
| コガネムシ科 | | OMNH TI 510 | Scarabaeidae | Holotrichia emarginatipennis | | ホーチミン近く Bao Loc周辺産 | | | | |
| コガネムシ科 | | OMNH TI 509 | Scarabaeidae | Holotrichia hirtidorsalis | | ホーチミン近く Bao Loc周辺産 | | | | |
| コガネムシ科 | | OMNH TI 508 | Scarabaeidae | Holotrichia nigrithoracica | | 北西部Sapa産 | | | | |
| コガネムシ科 | | | Scarabaeidae | Hoplia lishana | Y.MIYAKE | | | T.Shibata Coll. (deposit) | | |
| コガネムシ科 | | OMNH TI 197 | Scarabaeidae | Latipalpus dannymohagani | Matsumoto, 2005 | | Elytra 33(2):475-485. | | | |
| コガネムシ科 | | | Scarabaeidae | Maladera maedai | NOMURA | | | T.Shibata Coll. (deposit) | | |
| コガネムシ科 | | | Scarabaeidae | Maladera nitididorsis | NOMURA | | | T.Shibata Coll. (deposit) | | |
| コガネムシ科 | | | Scarabaeidae | Maladera tridentipes | NOMURA | | | T.Shibata Coll. (deposit) | | |
| コガネムシ科 | | OMNH TI 142 | Scarabaeidae | Miridiba hirsuta | T.Itoh, 2001 | | Elytra 29:435-439. | | | |
| コガネムシ科 | | OMNH TI 199 | Scarabaeidae | Neopentelia malaccensis apicalis | Matsumoto, 2005 | | Kogane 6: 9-19 | | | |
| コガネムシ科 | | | Scarabaeidae | Nipponoserica nitididorsis | NOMURA | | | T.Shibata Coll. (deposit) | | |
| コガネムシ科 | | OMNH TI 517 | Scarabaeidae | Octoplasia castaneipennis | Matsumoto, 2014 | , | | | | |
| コガネムシ科 | | OMNH TI 36 | Scarabaeidae | Onthophagus (Indachorius) masaoi | Ochi, 1992 | Sabah, BORNEO | Entomol. Rev. Jpn 47(1): 1-4. | | | LINK |
| コガネムシ科 | | | Scarabaeidae | Panelus crenatus | NOMURA | | | T.Shibata Coll. (deposit) | | |
| コガネムシ科 | | | Scarabaeidae | Parastasia ferrieri sakishimana | NOMURA | | | T.Shibata Coll. (deposit) | | |
| コガネムシ科 | | | Scarabaeidae | Parastasia oberthueri ishigakiana | NOMURA | | | T.Shibata Coll. (deposit) | | |
| コガネムシ科 | | OMNH TI 171 | Scarabaeidae | Paratrichius loi | Kobayashi et Tanikado, 2003 | Nantou, TAIWAN | Entomol. Rev. Jpn. 58(1):67-70. | | | |
| コガネムシ科 | | OMNH TI 200 | Scarabaeidae | Pentelia impressifrons | Matsumoto, 2005 | | Elytra 33(2):475-485. | | | |
| コガネムシ科 | | | Scarabaeidae | Protaetia orientalis tokarana | NOMURA | | | T.Shibata Coll. (deposit) | | |
| コガネムシ科 | | | Scarabaeidae | Psamadius kobayashii | NOMURA | | | T.Shibata Coll. (deposit) | | |
| コガネムシ科 | | | Scarabaeidae | Psammodius subopacus | NOMURA | | | T.Shibata Coll. (deposit) | | |
| コガネムシ科 | | | Scarabaeidae | Pseudohoplia shibatai yushana | Y.MIYAKE | | | T.Shibata Coll. (deposit) | | |
| コガネムシ科 | | ONNH TI 483 | Scarabaeidae | Psilopholis gigantea | Matsumoto | , | | | | |
| コガネムシ科 | | | Scarabaeidae | Rhomborrhina hamai | NOMURA | | | T.Shibata Coll. (deposit) | | |
| コガネムシ科 | | | Scarabaeidae | Selaserica alternata | NOMURA | | | T.Shibata Coll. (deposit) | | |
| コガネムシ科 | | OMNH TI 529 | Scarabaeidae | Sophrops pseudoplanicollis?Matsumoto, 2020? | | | | | | |
| コガネムシ科 | | | Scarabaeidae | Taiwanoserica variegata | NOMURA | | | T.Shibata Coll. (deposit) | | |
| ヒメドロムシ科 | | | Elmidae | Grouvellinus subopacus | NOMURA | | | T.Shibata Coll. (deposit) | | |
| ヒメドロムシ科 | | | Elmidae | Zaitzevia uenoi amamiana | M.SATO | | | T.Shibata Coll. (deposit) | | |
| ナガハナノミ科 | | | Ptilodactylidae | Epilichas flabellatus okinawanus | M. Sato | | | T.Shibata Coll. (deposit) | | |
| ナガハナノミ科 | | | Ptilodactylidae | Epilichas yakushimensis iriomotensis | M. Sato | | | T.Shibata Coll. (deposit) | | |
| コメツキムシ科 | | | Elateridae | Abelater davaoensis | Ohira, 1973 | Palawan PHILIPPINES | | | | |
| コメツキムシ科 | | | Elateridae | Abelater miyatakei | Ohira, 1973 | Mindanao PHILIPPINES | | | | |
| コメツキムシ科 | | | Elateridae | Ampedus nomurai | OHIRA | | | T.Shibata Coll. (deposit) | | |
| コメツキムシ科 | | | Elateridae | Brachylacon shirozui ishigakiensis | OHIRA | | | T.Shibata Coll. (deposit) | | |
| コメツキムシ科 | | | Elateridae | Colanlon haterumana | OHIRA | | | T.Shibata Coll. (deposit) | | |
| コメツキムシ科 | | OMNH TI 99 | Elateridae | Homotechnes motschlskyi narukawai | Kishi, 1998 | | Entomol. Rev. Jpn. 53(2): 77-80. | | | |
| コメツキムシ科 | | OMNH TI 100 | Elateridae | Homotechnes motschlskyi okudai | Kishi, 1998 | | Entomol. Rev. Jpn. 53(2): 77-80. | | | |
| コメツキムシ科 | | | Elateridae | Ischiodontus daitoensis | OHIRA | | | T.Shibata Coll. (deposit) | | |
| コメツキムシ科 | | OMNH TI 101 | Elateridae | Kinokunia yoshidai | Kishi, 1998 | | Entomol. Rev. Jpn. 53(2): 80-85. | | | |
| コメツキムシ科 | | | Elateridae | Lacon parallelus amamiensis | OHIRA | | | T.Shibata Coll. (deposit) | | |
| コメツキムシ科 | | | Elateridae | Melanotus palawanensis | Ohira, 1973 | | | | dorsal |  |
| コメツキムシ科 | | | Elateridae | Melanotus palawanensis | Ohira, 1973 | | | | ventral |  |
| コメツキムシ科 | | | Elateridae | Melonotus palawanensis | Ohira, 1973 | Palawan PHILIPPINES | | | | |
| ベニボタル科 | | OMNH TI 491 | Lycidae | Benibotarus (Benibotarus) gotoi | Matsuda | , | | | | |
| ベニボタル科 | | OMNH TI 492 | Lycidae | Benibotarus (Benibotarus)shikokuanus | Matsuda | , | | | | |
| ベニボタル科 | | OMNH TI 494 | Lycidae | Dictyoptera aurora hoozanus | Matsuda | , | | | | |
| ベニボタル科 | | OMNH TI 47 | Lycidae | Eropterus ohkurai | Matsuda, 1992 | Kaohsiung, TAIWAN | Entomol. Rev. Jpn 47(2): 91-98. | | | LINK |
| ベニボタル科 | | OMNH TI 46 | Lycidae | Eropterus taiwanus | Matsuda, 1992 | Nantou, TAIWAN | Entomol. Rev. Jpn 47(2): 91-98. | | | LINK |
| ベニボタル科 | | OMNH TI 499 | Lycidae | Eropterus tuifengensis | Matsuda | , | | | | |
| ベニボタル科 | | OMNH TI 493 | Lycidae | Greenarus yakushimanus | Matsuda | , | | | | |
| ベニボタル科 | | OMNH TI 495 | Lycidae | Japanogreenarus watanabei | Matsuda | , | | | | |
| ベニボタル科 | | OMNH TI 496 | Lycidae | Pyropterus chugokuanus | Matsuda | , | | | | |
| ベニボタル科 | | OMNH TI 497 | Lycidae | Pyropterus japonicus | Matsuda | , | | | | |
| ベニボタル科 | | OMNH TI 498 | Lycidae | Pyropterus osawai | Matsuda | , | | | | |
| ホタル科 | | | Lampyridae | Cyphonocerus formosanus | M. Sato | | | T.Shibata Coll. (deposit) | | |
| ホタル科 | | | Lampyridae | Drilaster shibatai | M. Sato | | | T.Shibata Coll. (deposit) | | |
| カッコウムシ科 | | | Cleridae | Allochotes amamioshimanus | MIYATAKE | | | T.Shibata Coll. (deposit) | | |
| カッコウムシ科 | | | Cleridae | Gracilotillus shibatai | MIYATAKE | | | T.Shibata Coll. (deposit) | | |
| オオキノコムシ科 | 旧コメツキモドキ科 | | Erotylidae | Aporotritoma maedai | KIYOYAMA | | | T.Shibata Coll. (deposit) | | |
| オオキノコムシ科 | 旧コメツキモドキ科 | | Erotylidae | Caenolangulia shibatai | MAEDA | | | T.Shibata Coll. (deposit) | | |
| オオキノコムシ科 | | OMNH TI 35 | Erotylidae | Dacne akitai | Narukawa, 1992 | Mie Pref., JAPAN | Entomol. Rev. Jpn 47(1): 67-69. | | | LINK |
| オオキノコムシ科 | | OMNH TI 202 | Erotylidae | Episcaphula matsumurai kaniei | Narukawa et Ashida, 2005 | Okinawa Pref., JAPAN | Entomol. Rev. Jpn. 60(1):59-62. | | | |
| オオキノコムシ科 | | OMNH TI 198 | Erotylidae | Microsternus nakanoi | Narukawa, 2004 | Tokunoshima Is., Kagoshima Pref., JAPAN | Jpn. J. Syst. Entomol. 10(2):277-279. | | | |
| オオキノコムシ科 | | OMNH TI 132 | Erotylidae | Narukawa, 2001 | | , | | | | |
| オオキノコムシ科 | 旧コメツキモドキ科 | | Erotylidae | Neocladoxena hisamatsui | MAEDA | | | T.Shibata Coll. (deposit) | | |
| オオキノコムシ科 | 旧コメツキモドキ科 | | Erotylidae | Paedorolanguria hisamatsui | MAEDA | | | T.Shibata Coll. (deposit) | | |
| オオキノコムシ科 | | | Erotylidae | Spondotriplax inornata | SHIBATA | | | T.Shibata Coll. (deposit) | | |
| オオキノコムシ科 | | OMNH TI 55 | Erotylidae | Tritoma kubotai | Narukawa, 1994 | Fukushima Pref., JAPAN | Entomol. Rev. Jpn 49(2): 155-158. | | | LINK |
| オオキノコムシ科 | | | Erotylidae | Tritoma loochooana | CHUJO | | | T.Shibata Coll. (deposit) | | |
| オオキノコムシ科 | | ONNH TI 488 | Erotylidae | Tritoma miyatai エゾクロチビオオキノコ | | , | | | | |
| オオキノコムシ科 | | OMNH TI 127 | Erotylidae | Tritoma ozakii | Narukawa, 2000 | Aomori Pref., JAPAN | Entomol. Rev. Jpn. 55(2): 1-4. | | | |
| オオキノコムシ科 | | | Erotylidae | Tritoma shibatai | CHUJO | | | T.Shibata Coll. (deposit) | | |
| オオキノコムシ科 | | ONNH TI 487 | Erotylidae | Tritoma toyoshimai ミヤマクロチビオオキノコ | | , | | | | |
| ムキヒゲホソカタムシ科 | | OMNH TI 160 | Bothrideridae | Antibothrus ichihashii | Narukawa、2002 | Kisei-cho, Mie Pref., JAPAN | Entomol. Rev. Jpn. 57(2):123-126. | | | |
| カクホソカタムシ科 | | | Cerylonidae | Philothermus shibatai | SASAji | | | T.Shibata Coll. (deposit) | | |
| テントウダマシ科 | | OMNH TI 516 | Endomychidae | Dexialia hiranoi | Narukawa, 2013 | , | | | | |
| テントウムシダマシ科 | | OMNH TI 220 | Endomychidae | Dexialia saasajiiウスモンマルガタテントウダマシ | Narukawa, 2007 | Taiki-cho, Mie Pref.,JAPAN | Entomol. Rev. Jpn. 62(1):71-74. | | | |
| テントウダマシ科 | | OMNH TI 518 | Endomychidae | Mychothenus miyakei | Narukawa | , | | | | |
| テントウムシ科 | | OMNH TI 13 | Coccinellidae | Coelophora flavomarginata | Sasaji, 1982 | ,Nantou TAIWAN | Memoirs of the Faculty of Education, Fukui University. Series 2, Natural science. 31(1): 1-49 | | | |
| テントウムシ科 | | | Coccinellidae | Horniolus amamensis | MIYATAKE | | | T.Shibata Coll. (deposit) | | |
| コキノコムシ科 | | | Mycetophagidae | Mycetophagus obsoletesignatus | M. Miyatake | | | T.Shibata Coll. (deposit) | | |
| ナガクチキムシ科 | | | Melandryidae | Dircaea shibatai | HAYASHI | | | T.Shibata Coll. (deposit) | | |
| ナガクチキムシ科 | | | Melandryidae | Mikadonius japonicus | HAYASHI | | | T.Shibata Coll. (deposit) | | |
| ハナノミ科 | | OMNH TI 125 | Mordellidae | Asiatolida miyatakeiミヤタケヒメハナノミ | Shiyake, 2000 | Okinawa Is., Okinawa Pref., JAPAN | Bull. Osaka Mus. Nat. Hist. 54:25-30. | | | |
| ハナノミ科 | | OMNH TI 59 | Mordellidae | Falsomordellistena hirasana | Shiyake, 1996 | Shiga, JAPAN | Bull. Osaka Mus. Nat. Hist. 50. | | | |
| ハナノミ科 | | OMNH TI 134 | Mordellidae | Glipostenoda sasajiiササジヒメハナノミ | Shiyake, 2001 | | Spec. Publ. Jpn. Coleopt. Soc. 1 (SUKUNAHIKONA): | | | |
| ハナノミ科 | | | Mordellidae | Glipostenoda shibatai | NOMURA | | | T.Shibata Coll. (deposit) | | |
| ハナノミ科 | | | Mordellidae | Hoshihananomia nakanei kuraruana | KIYOYAMA | | | T.Shibata Coll. (deposit) | | |
| ハナノミ科 | | | Mordellidae | Hoshihananomia pseudauromaculata | KIYOYAMA | | | T.Shibata Coll. (deposit) | | |
| ハナノミ科 | | | Mordellidae | Hoshihananomia pseudohananomi | KIYOYAMA | | | T.Shibata Coll. (deposit) | | |
| ハナノミ科 | | | Mordellidae | Mordellaria humeralis | NOMURA | | | T.Shibata Coll. (deposit) | | |
| ハナノミ科 | | | Mordellidae | Mordellaria triguttata | NOMURA | | | T.Shibata Coll. (deposit) | | |
| ハナノミ科 | | OMNH TI 123 | Mordellidae | Mordellina masaoi | Shiyake, 1999 | Luzon Is., PHILIPPINES | Entomol. Rev. Jpn. 54(2):143-145. | | | |
| ハナノミ科 | | OMNH TI 66 | Mordellidae | Mordellistenoda memnonia | Shiyake, 1997 | Borneo, MALAYSIA | Bull. Osaka Mus. Nat. Hist. 51:25-36. | | | |
| ハナノミ科 | | | Mordellidae | Mordellochroa shibatai | KIYOYAMA | | | T.Shibata Coll. (deposit) | | |
| ハナノミ科 | | | Mordellidae | Mordellochroa taiwana | KIYOYAMA | | | T.Shibata Coll. (deposit) | | |
| ハナノミ科 | | | Mordellidae | Pseudotolida multisulcata | NOMURA | | | T.Shibata Coll. (deposit) | | |
| ハナノミ科 | | | Mordellidae | Stenomordella ochii | KIYOYAMA | | | T.Shibata Coll. (deposit) | | |
| ハナノミ科 | | OMNH TI 64 | Mordellidae | Tolidopalpus bimaculatus | Shiyake, 1997 | Luzon, PHILIPPINES | Entomol. Rev. Jpn. 52(1): 51-54. | | | |
| ハナノミ科 | | OMNH TI 56 | Mordellidae | Tolidopalpus kalimantanensis | Shiyake, 1995 | Kalimantan, INDONESIA | Bull. Osaka Mus. Nat. Hist. 49:11-18. | | | |
| ハナノミ科 | | OMNH TI 63 | Mordellidae | Tolidopalpus sakaii | Shiyake, 1997 | Mindanao, PHILIPPINES | Entomol. Rev. Jpn. 52(1): 51-54. | | | |
| ハナノミ科 | | | Mordellidae | Tolidostena hayashii | KIYOYAMA | | | T.Shibata Coll. (deposit) | | |
| ハナノミ科 | | | Mordellidae | Tolidostena montana | KIYOYAMA | | | T.Shibata Coll. (deposit) | | |
| ハナノミ科 | | | Mordellidae | Tolidostena similator | KIYOYAMA | | | T.Shibata Coll. (deposit) | | |
| ハナノミ科 | | | Mordellidae | Variimorda ishiharai | KIYOYAMA | | | T.Shibata Coll. (deposit) | | |
| ハナノミ科 | | | Mordellidae | Variimorda kyurasha | NOMURA | | | T.Shibata Coll. (deposit) | | |
| ゴミムシダマシ科 | | | Tenebrionidae | Addia monticola | NAKANE | | | T.Shibata Coll. (deposit) | | |
| ゴミムシダマシ科 | | | Tenebrionidae | Addia shibatai | NAKANE | | | T.Shibata Coll. (deposit) | | |
| ゴミムシダマシ科 | | | Tenebrionidae | Aeneomerandris gibbicollis | KASZAB | | | T.Shibata Coll. (deposit) | | |
| ゴミムシダマシ科 | | | Tenebrionidae | Aptereucyrtus shibatai | ANDO | | | T.Shibata Coll. (deposit) | | |
| ゴミムシダマシ科 | | | Tenebrionidae | Brabymerus junctus | SHIBATA | | | T.Shibata Coll. (deposit) | | |
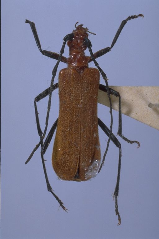
| ゴミムシダマシ科 | | | Tenebrionidae | Camariomorpha miyatakei | Ando, 1991 | | | | dorsal |  |
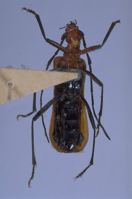
| ゴミムシダマシ科 | | | Tenebrionidae | Camariomorpha miyatakei | Ando, 1991 | | | | ventral |  |
| ゴミムシダマシ科 | | | Tenebrionidae | Dicraeosis furcifer | SHIBATA | | | T.Shibata Coll. (deposit) | | |
| ゴミムシダマシ科 | | | Tenebrionidae | Dicraeosis unicornis | SHIBATA | | | T.Shibata Coll. (deposit) | | |
| ゴミムシダマシ科 | | | Tenebrionidae | Diphyrrhynchus shibatai | KASZAB | | | T.Shibata Coll. (deposit) | | |
| ゴミムシダマシ科 | | | Tenebrionidae | Espites shibatai | ANDO | | | T.Shibata Coll. (deposit) | | |
| ゴミムシダマシ科 | | | Tenebrionidae | Falsogauromaia yamamotoi | ANDO | | | T.Shibata Coll. (deposit) | | |
| ゴミムシダマシ科 | | | Tenebrionidae | Gauromaia elotyloides | ANDO | | | T.Shibata Coll. (deposit) | | |
| ゴミムシダマシ科 | | | Tenebrionidae | Gonocephalum chujoi | KASZAB | | | T.Shibata Coll. (deposit) | | |
| ゴミムシダマシ科 | | | Tenebrionidae | Gonocephalum tokaraensis | KASZAB | | | T.Shibata Coll. (deposit) | | |
| ゴミムシダマシ科 | | | Tenebrionidae | Hemicera alternata iris | KASZAB | | | T.Shibata Coll. (deposit) | | |
| ゴミムシダマシ科 | | | Tenebrionidae | Hypophloeus amamiensis | KASZAB | | | T.Shibata Coll. (deposit) | | |
| ゴミムシダマシ科 | | | Tenebrionidae | Ischnodactylus iriomotensis | ANDO | | | T.Shibata Coll. (deposit) | | |
| ゴミムシダマシ科 | | | Tenebrionidae | Laena rotundicollis insularis | KASZAB | | | T.Shibata Coll. (deposit) | | |
| ゴミムシダマシ科 | | | Tenebrionidae | Lanhsia bucca | SHIBATA | | | T.Shibata Coll. (deposit) | | |
| ゴミムシダマシ科 | | | Tenebrionidae | Leptoscapha unifasciata | KASZAB | | | T.Shibata Coll. (deposit) | | |
| ゴミムシダマシ科 | | | Tenebrionidae | Metaclisa hamai | SHIBATA | | | T.Shibata Coll. (deposit) | | |
| ゴミムシダマシ科 | | | Tenebrionidae | Metaclisa ornata | SHIBATA | | | T.Shibata Coll. (deposit) | | |
| ゴミムシダマシ科 | | | Tenebrionidae | Misolampomorphus insularis | KASZAB | | | T.Shibata Coll. (deposit) | | |
| ゴミムシダマシ科 | | | Tenebrionidae | Nesocaedius taiwanus | SHIBATA | | | T.Shibata Coll. (deposit) | | |
| ゴミムシダマシ科 | | | Tenebrionidae | Nesocaedius vermiculus | SHIBATA | | | T.Shibata Coll. (deposit) | | |
| ゴミムシダマシ科 | | | Tenebrionidae | Obriomaia palpalis dentata | KASZAB | | | T.Shibata Coll. (deposit) | | |
| ゴミムシダマシ科 | | | Tenebrionidae | Obriomaia rufiventris | KASZAB | | | T.Shibata Coll. (deposit) | | |
| ゴミムシダマシ科 | | | Tenebrionidae | Oedemutes itoi | ANDO | | | T.Shibata Coll. (deposit) | | |
| ゴミムシダマシ科 | | | Tenebrionidae | Pentaphyllus dilatipes | SHIBATA | | | T.Shibata Coll. (deposit) | | |
| ゴミムシダマシ科 | | | Tenebrionidae | Plesiophthalmus shibatai | MASUMOTO | | | T.Shibata Coll. (deposit) | | |
| ゴミムシダマシ科 | | | Tenebrionidae | Scotaeus borneensis | ANDO | | | T.Shibata Coll. (deposit) | | |
| ゴミムシダマシ科 | | | Tenebrionidae | Spiloscapha kobayashii | SHIBATA | | | T.Shibata Coll. (deposit) | | |
| ゴミムシダマシ科 | | OMNH TI 72 | Tenebrionidae | Strongylium canlaonensis | Kato, 1998 | Negros Is., PHILIPPINES | Jpn. J. Syst. Entomol. 4(1): 97-102. | | | LINK |
| ゴミムシダマシ科 | | OMNH TI 71 | Tenebrionidae | Strongylium takeshii | Kato, 1998 | Samar Is., PHILIPPINES | Jpn. J. Syst. Entomol. 4(1): 97-102. | | | LINK |
| ゴミムシダマシ科 | | | Tenebrionidae | Tarpela amamiensis | KASZAB | | | T.Shibata Coll. (deposit) | | |
| ゴミムシダマシ科 | | | Tenebrionidae | Tetraphyllus amamiensis | KASZAB | | | T.Shibata Coll. (deposit) | | |
| ゴミムシダマシ科 | | | Tenebrionidae | Tetraphyllus cinctulus | ANDO | | | T.Shibata Coll. (deposit) | | |
| ゴミムシダマシ科 | | | Tenebrionidae | Tetraphyllus crucifer | ANDO | | | T.Shibata Coll. (deposit) | | |
| ゴミムシダマシ科 | | | Tenebrionidae | Tetraphyllus dubius | ANDO | | | T.Shibata Coll. (deposit) | | |
| ゴミムシダマシ科 | | | Tenebrionidae | Tetraphyllus hayashii | ANDO | | | T.Shibata Coll. (deposit) | | |
| ゴミムシダマシ科 | | | Tenebrionidae | Tetraphyllus infectus | ANDO | | | T.Shibata Coll. (deposit) | | |
| ゴミムシダマシ科 | | | Tenebrionidae | Tetraphyllus katsuae | ANDO | | | T.Shibata Coll. (deposit) | | |
| ゴミムシダマシ科 | | | Tenebrionidae | Tetraphyllus kinabaluensis | ANDO | | | T.Shibata Coll. (deposit) | | |
| ゴミムシダマシ科 | | | Tenebrionidae | Tetraphyllus kiyoyamai | ANDO | | | T.Shibata Coll. (deposit) | | |
| ゴミムシダマシ科 | | | Tenebrionidae | Tetraphyllus kumei | ANDO | | | T.Shibata Coll. (deposit) | | |
| ゴミムシダマシ科 | | | Tenebrionidae | Tetraphyllus marginicollis | ANDO | | | T.Shibata Coll. (deposit) | | |
| ゴミムシダマシ科 | | | Tenebrionidae | Tetraphyllus mucronatus | ANDO | | | T.Shibata Coll. (deposit) | | |
| ゴミムシダマシ科 | | | Tenebrionidae | Tetraphyllus naotaroi | ANDO | | | T.Shibata Coll. (deposit) | | |
| ゴミムシダマシ科 | | | Tenebrionidae | Tetraphyllus nitidulus | ANDO | | | T.Shibata Coll. (deposit) | | |
| ゴミムシダマシ科 | | | Tenebrionidae | Tetraphyllus nomurai | ANDO | | | T.Shibata Coll. (deposit) | | |
| ゴミムシダマシ科 | | | Tenebrionidae | Tetraphyllus ohkuboi | ANDO | | | T.Shibata Coll. (deposit) | | |
| ゴミムシダマシ科 | | | Tenebrionidae | Tetraphyllus pulchellus | ANDO | | | T.Shibata Coll. (deposit) | | |
| ゴミムシダマシ科 | | | Tenebrionidae | Tetraphyllus rutilans minutus | ANDO | | | T.Shibata Coll. (deposit) | | |
| ゴミムシダマシ科 | | | Tenebrionidae | Tetraphyllus sakoi | ANDO | | | T.Shibata Coll. (deposit) | | |
| ゴミムシダマシ科 | | | Tenebrionidae | Tetraphyllus viridipennis | ANDO | | | T.Shibata Coll. (deposit) | | |
| ゴミムシダマシ科 | | | Tenebrionidae | Trigonopoda ovalipennis | SHIBATA | | | T.Shibata Coll. (deposit) | | |
| ゴミムシダマシ科 | | OMNH TI 70 | Tenebrionidae | Uloma visayana | Kato, 1993 | Negros Is., PHILIPPINES | Entomol. Rev. Jpn. 48(2): 173-176. | | | LINK |
| ニセクビボソムシ科 | | | Aderidae | Phytobaenus amabilis amamiensis | NOMURA | | | T.Shibata Coll. (deposit) | | |
| ニセクビボソムシ科 | | | Aderidae | Syzeton shibatai | NOMURA | | | T.Shibata Coll. (deposit) | | |
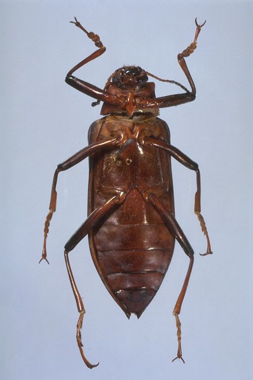
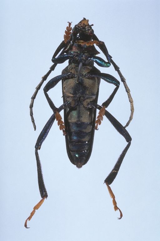
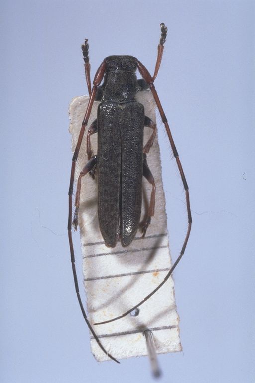
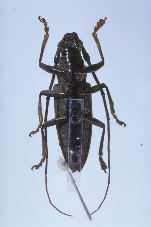
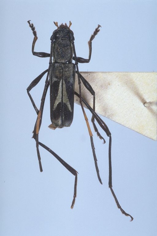
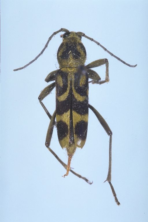
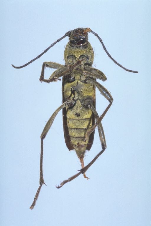
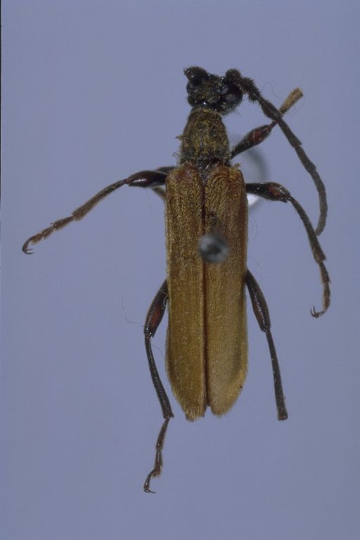
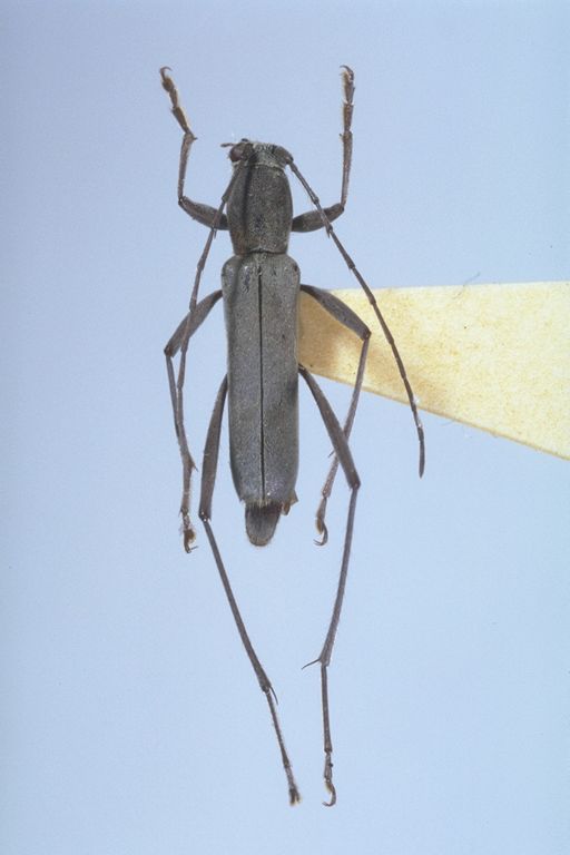
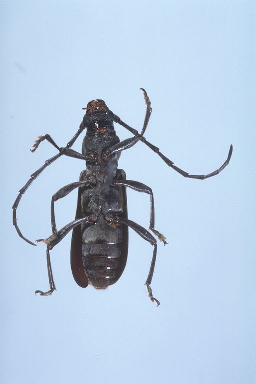
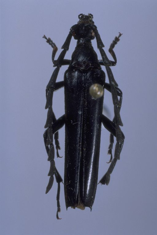
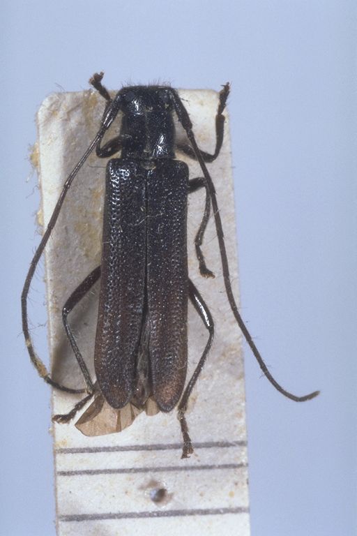
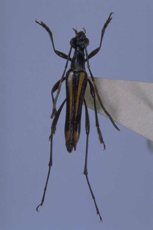
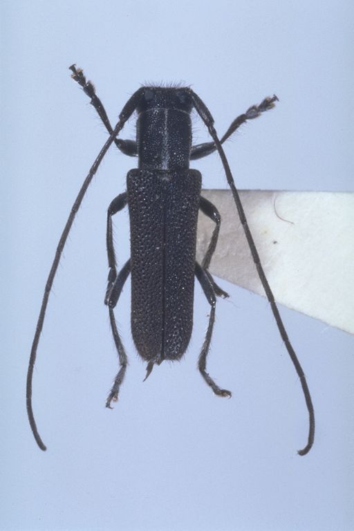
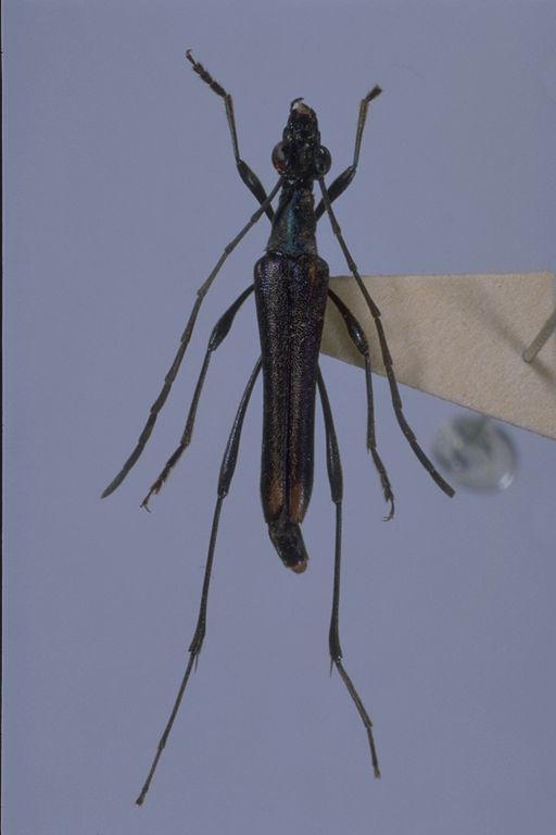
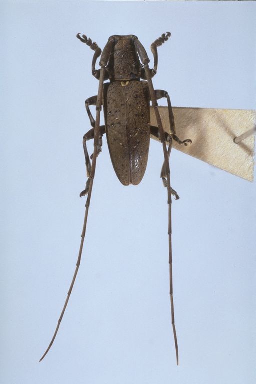
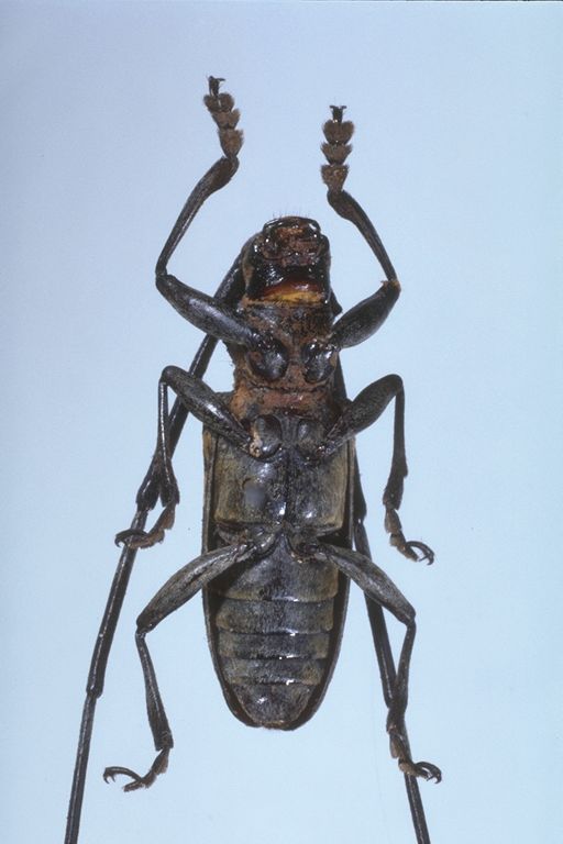
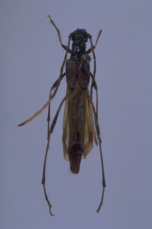
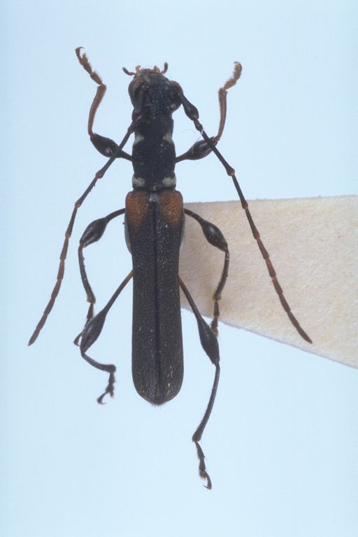
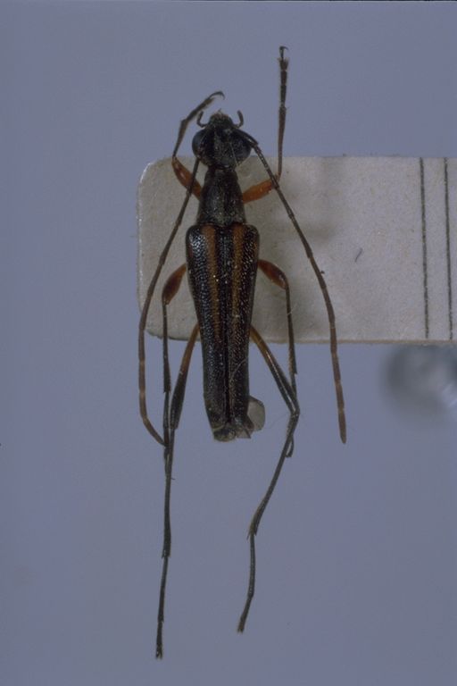
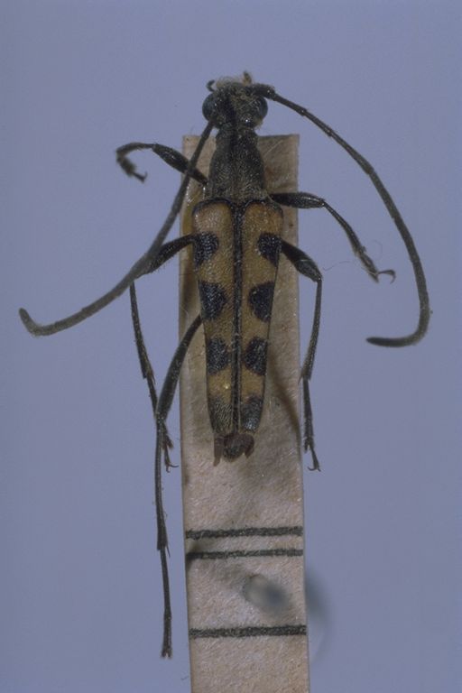
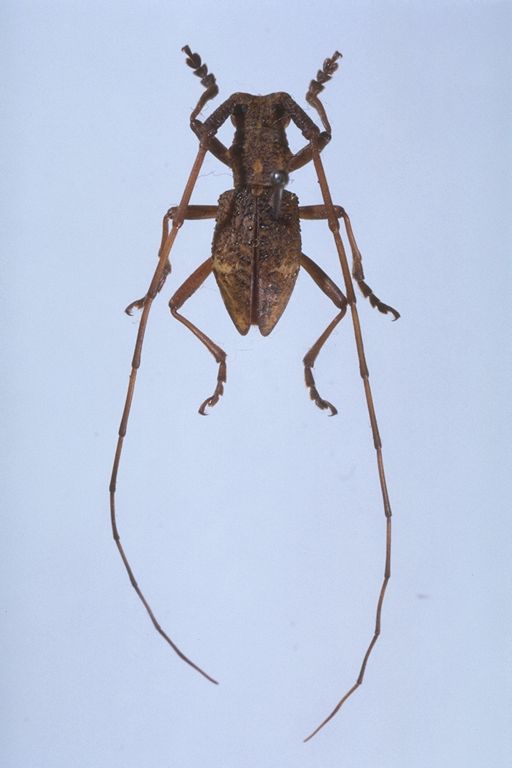
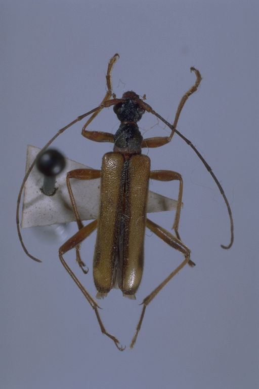
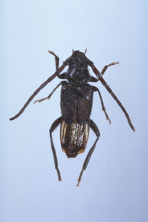
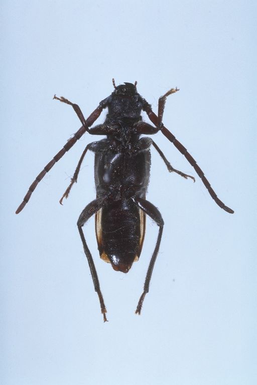
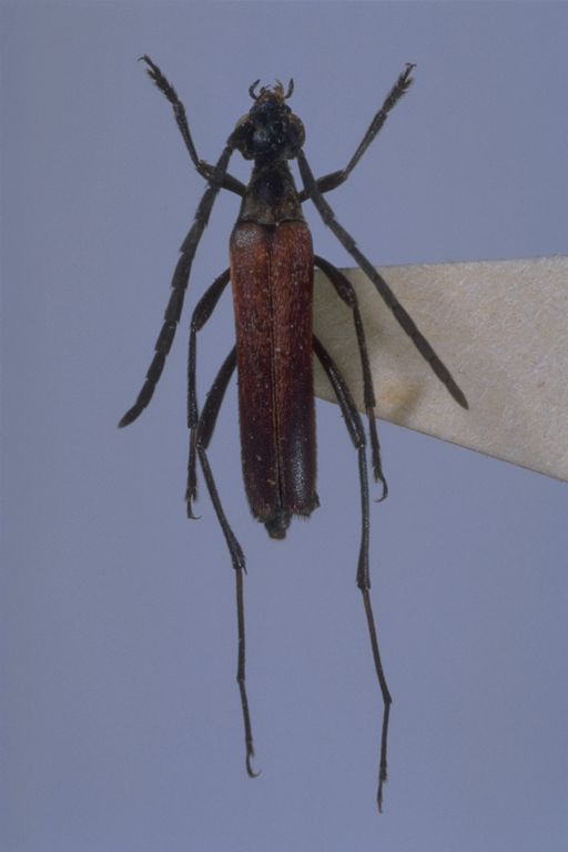
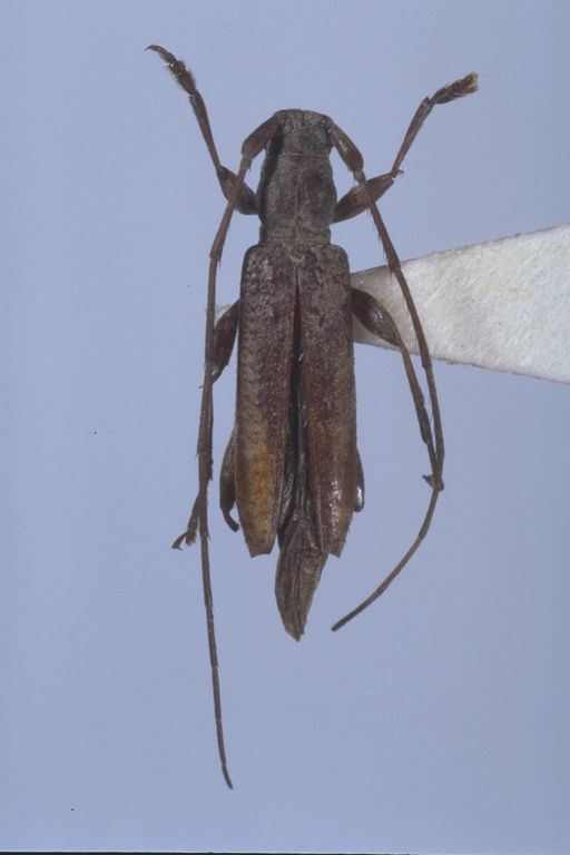
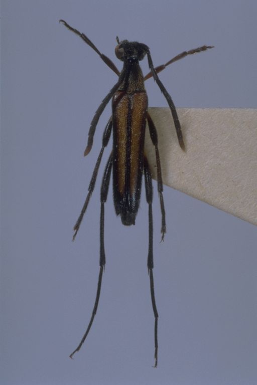
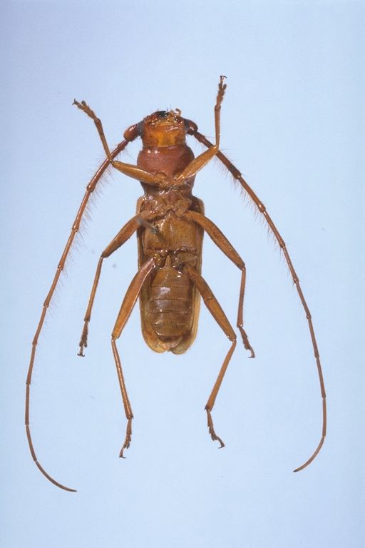
| カミキリムシ科 | | | Cerambycidae | Acalolepta kusamai | Hayashi, 1969 | | | | dorsal |  |
| カミキリムシ科 | | | Cerambycidae | Acalolepta kusamai | Hayashi, 1969 | | | | ventral |  |
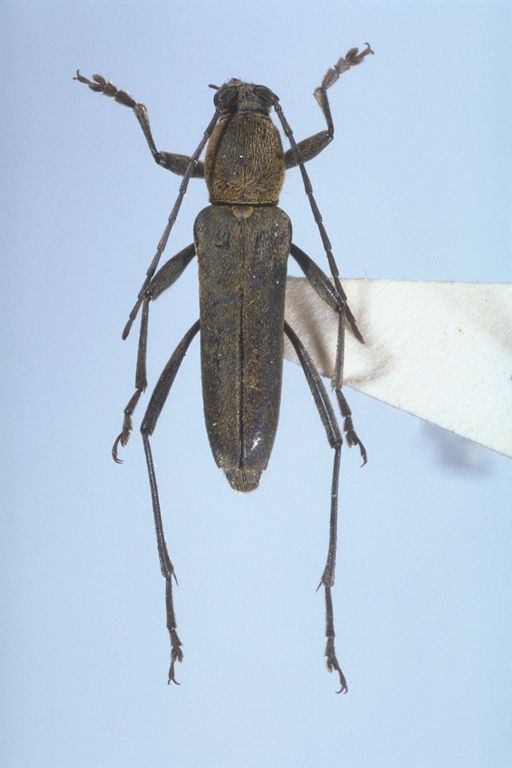
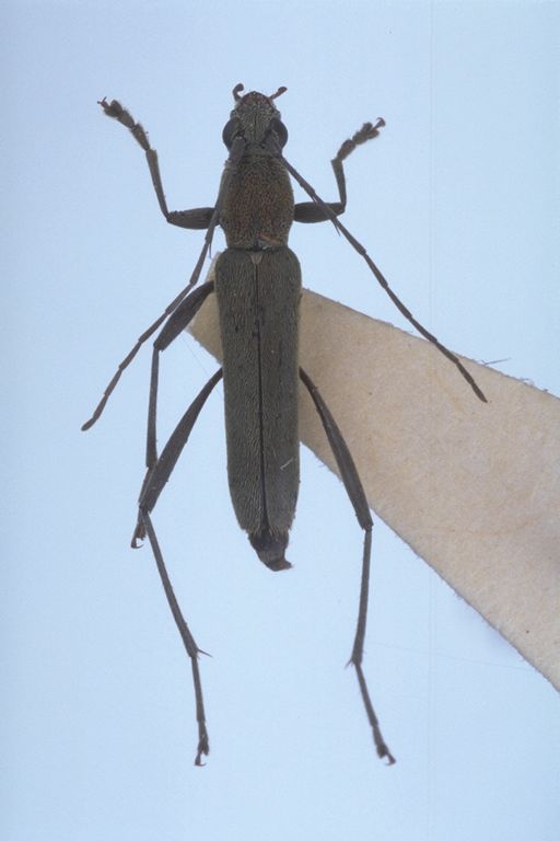
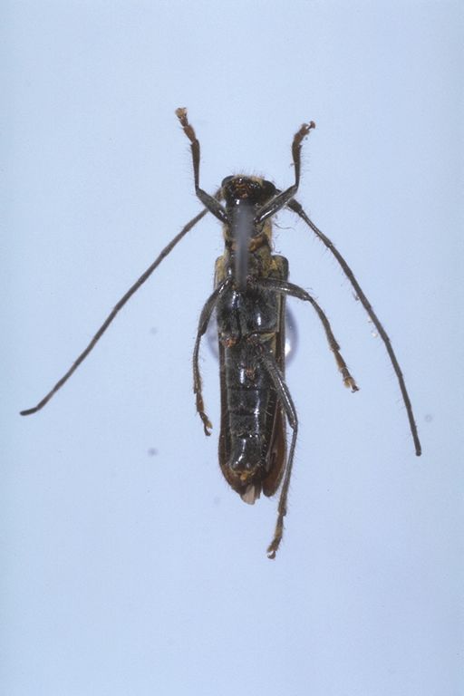
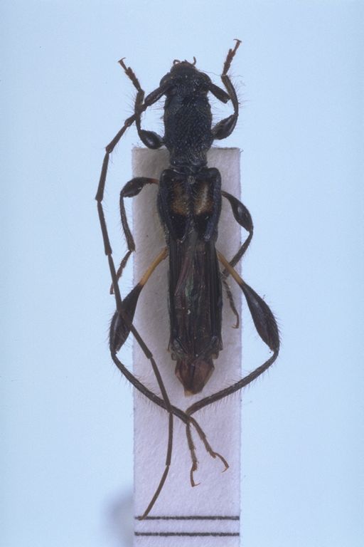
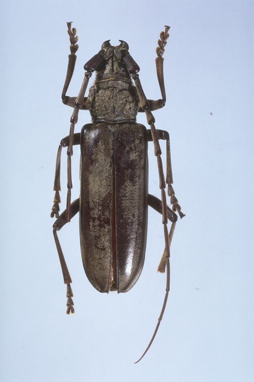
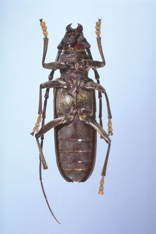
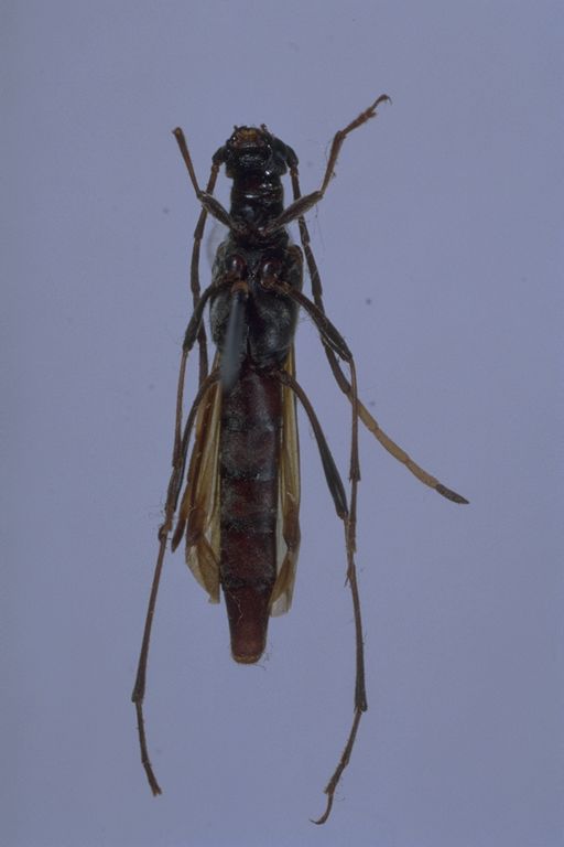
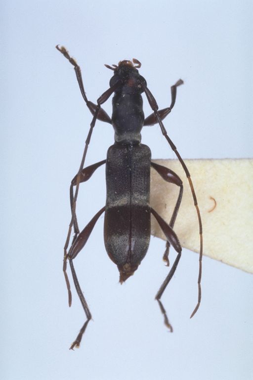
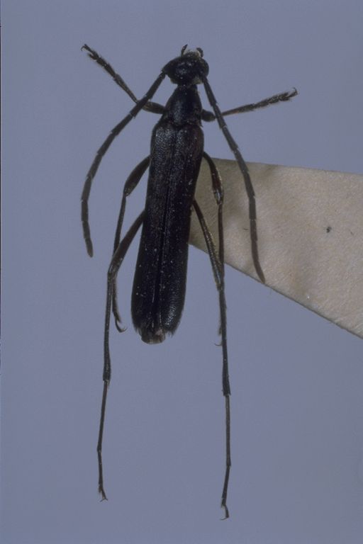
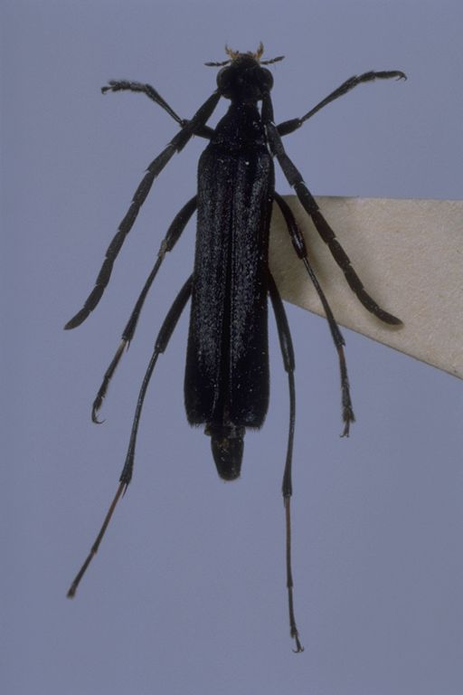
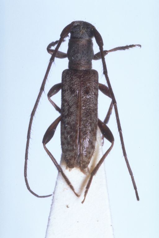
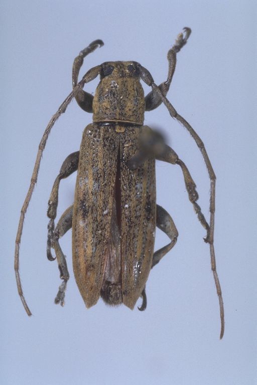
| カミキリムシ科 | | | Cerambycidae | Acalolepta mikurensis | Hayashi, 1969 | | | | dorsal |  |
| カミキリムシ科 | | | Cerambycidae | Acalolepta mikurensis | Hayashi, 1969 | | | | ventral |  |
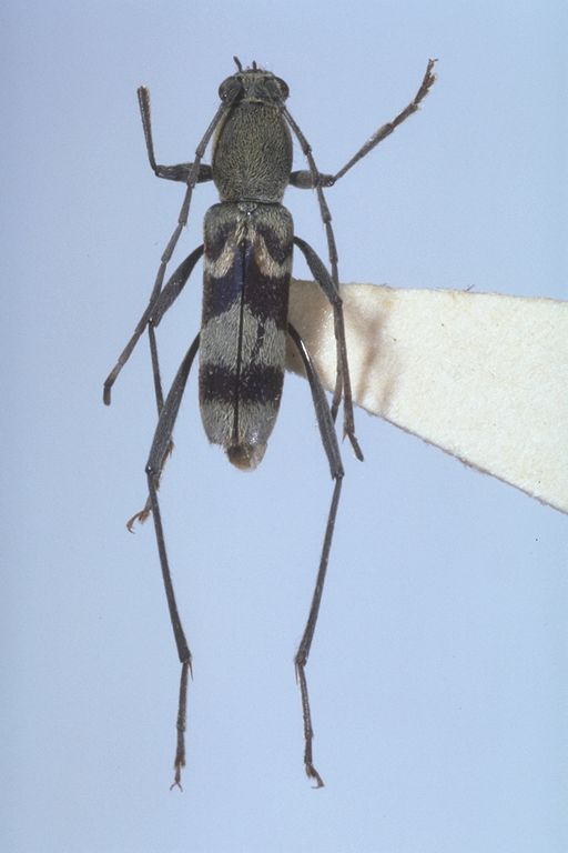
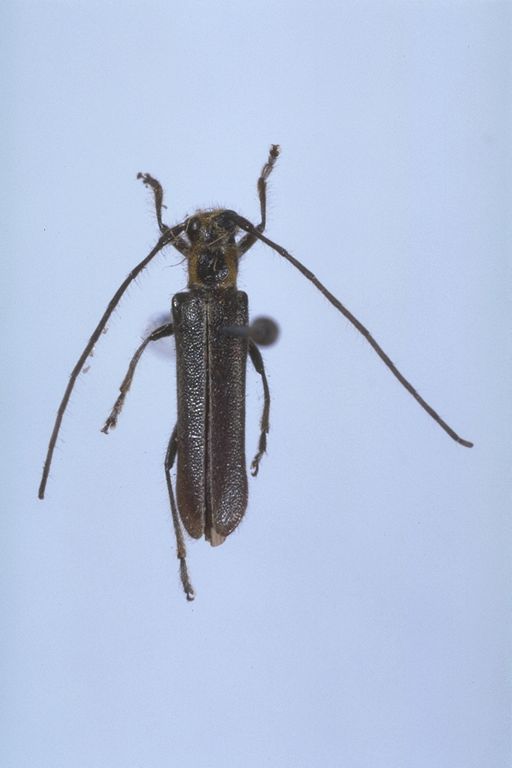
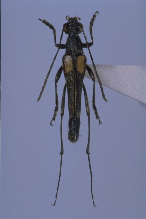
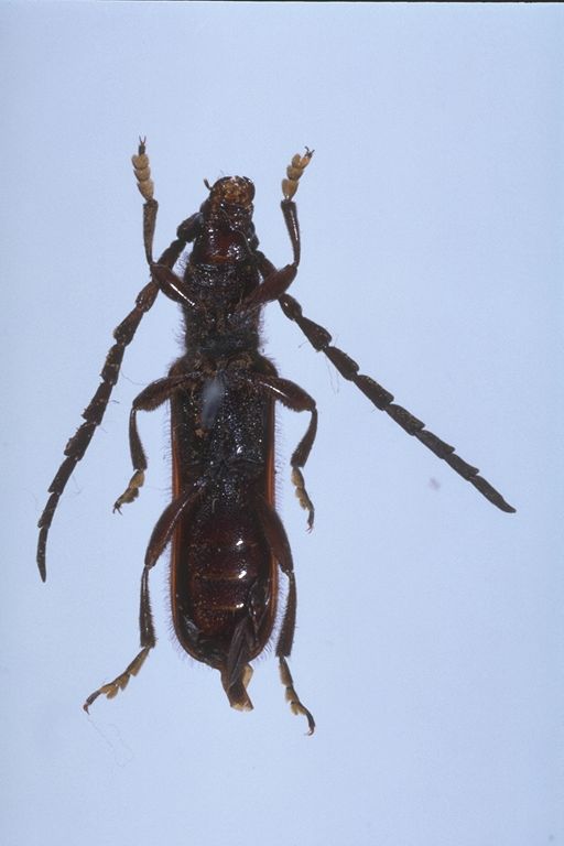
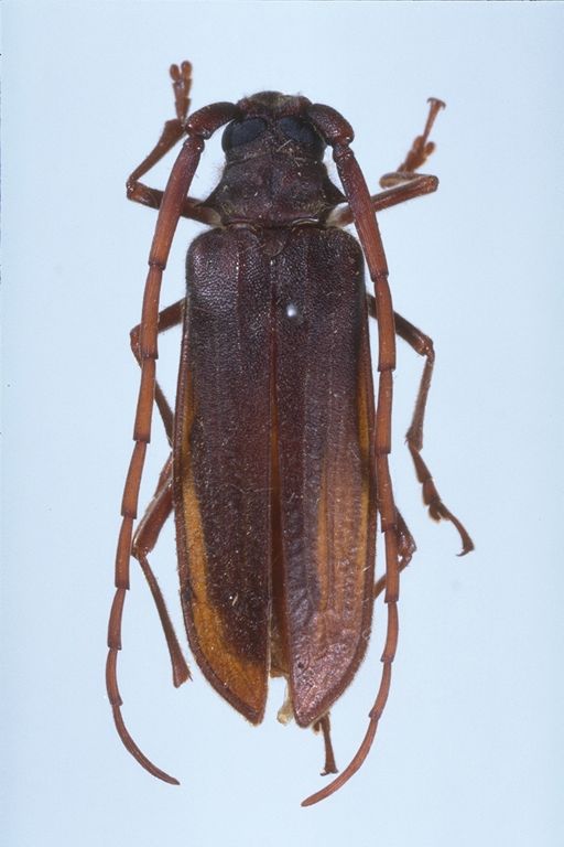
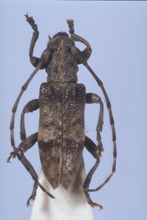
| カミキリムシ科 | | | Cerambycidae | Acalolepta yokoyamai | Hayashi, 1971 | | | | dorsal |  |
| カミキリムシ科 | | | Cerambycidae | Acalolepta yokoyamai | Hayashi, 1971 | | | | ventral |  |
| カミキリムシ科 | | | Cerambycidae | Acrocyrtidus griseofasciatus | HAYASHI | | | T.Shibata Coll. (deposit) | | |
| カミキリムシ科 | | | Cerambycidae | Aeolesthes malayanus | HAYASHI | | | T.Shibata Coll. (deposit) | | |
| カミキリムシ科 | | | Cerambycidae | Aeolesthes multistriatus | HAYASHI | | | T.Shibata Coll. (deposit) | | |
| カミキリムシ科 | | | Cerambycidae | Aetholopus lumawigi | Hayashi, 1976 | | | | ventral |  |
| カミキリムシ科 | | | Cerambycidae | Aetholopus lumawigi | Hayashi, 1976 | | | | dorsal |  |
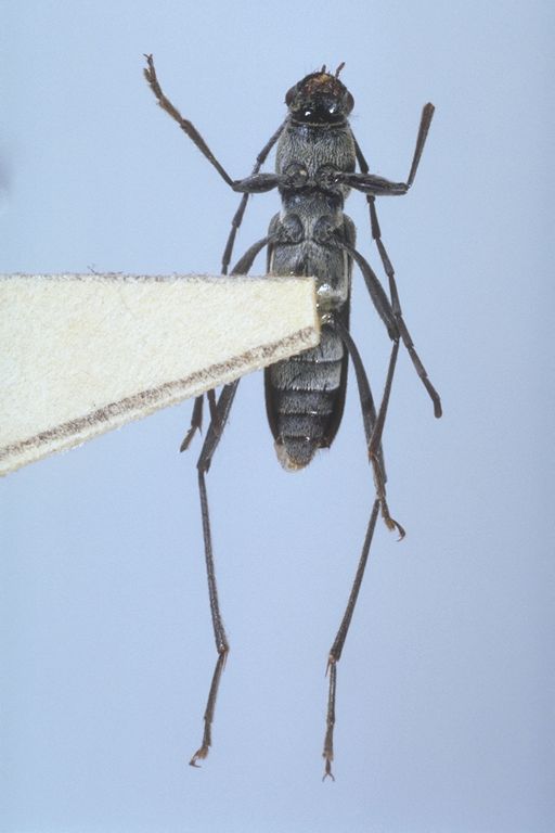
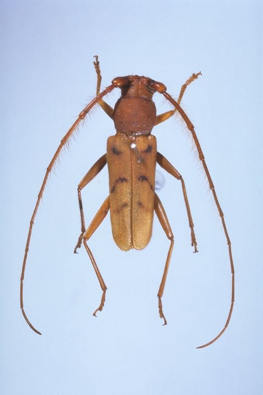
| カミキリムシ科 | | | Cerambycidae | Agapanthia sakaii | Hayashi, 1982 | | | | dorsal |  |
| カミキリムシ科 | | | Cerambycidae | Anaespogonius ochraceofulvus | HAYASHI | | | T.Shibata Coll. (deposit) | | |
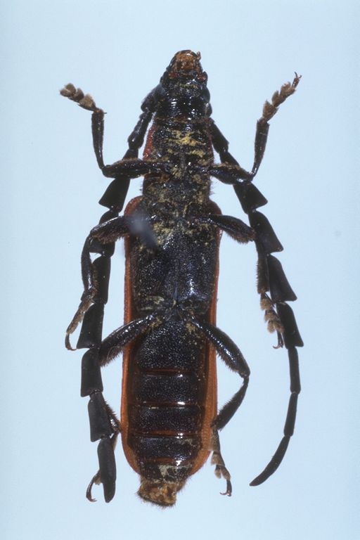
| カミキリムシ科 | | | Cerambycidae | Anaglyptus subfasciatus yakushimanus | Hayashi, 1968 | | | | dorsal |  |
| カミキリムシ科 | | | Cerambycidae | Anubis aureosuturalis | Hayashi, 1982 | | | | dorsal |  |
| カミキリムシ科 | | | Cerambycidae | Anubis aureosuturalis | Hayashi, 1982 | | | | ventral |  |
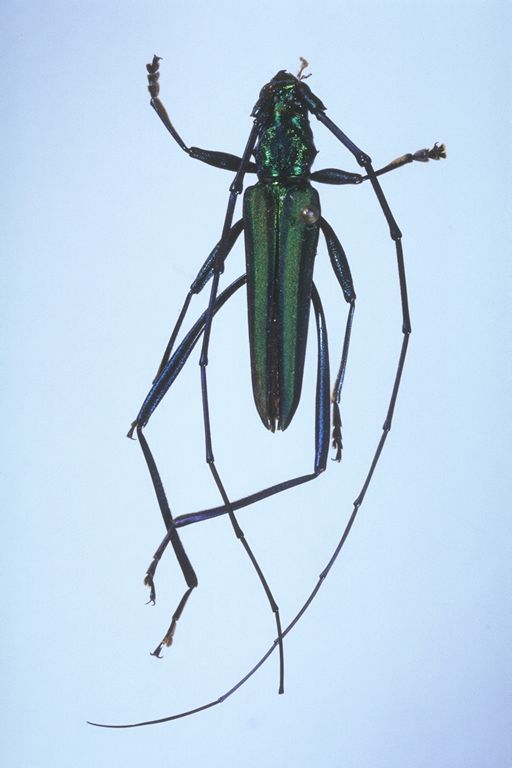
| カミキリムシ科 | | | Cerambycidae | Aphrodisium ohkurai | Hayashi, 1992 | | | | dorsal |  |
| カミキリムシ科 | | | Cerambycidae | Aphrodisium ohkurai | Hayashi, 1992 | | | | ventral |  |
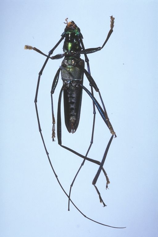
| カミキリムシ科 | | | Cerambycidae | Aphrodisium viridescens | Hayashi, 1974 | | | | dorsal |  |
| カミキリムシ科 | | | Cerambycidae | Aphrodisium viridescens | Hayashi, 1974 | | | | ventral |  |
| カミキリムシ科 | | | Cerambycidae | Aphrodisium viridiaeneum | Hayashi, 1992 | | | | dorsal |  |
| カミキリムシ科 | | | Cerambycidae | Aphrodisium viridiaeneum | Hayashi, 1992 | | | | ventral |  |
| カミキリムシ科 | | | Cerambycidae | Apomecyna naevia yokoyamai | Hayashi, 1974 | | | | dorsal |  |
| カミキリムシ科 | | | Cerambycidae | Apomecyna tsutsuii | Hayashi, 1956 | | | | dorsal |  |
| カミキリムシ科 | | | Cerambycidae | Apomecyna tsutsuii | Hayashi, 1956 | | | | dorsal |  |
| カミキリムシ科 | | | Cerambycidae | Aragea mizunoi | Hayashi, 1953 | | | | dorsal |  |
| カミキリムシ科 | | | Cerambycidae | Arhopalus (Arhopalus) tobirensis | Hayashi, 1968 | | | | dorsal |  |
| カミキリムシ科 | | | Cerambycidae | Arhopalus (Arhopalus) tobirensis | Hayashi, 1968 | | | | ventral |  |
| カミキリムシ科 | | | Cerambycidae | Aromia malayana | HAYASHI | | | T.Shibata Coll. (deposit) | | |
| カミキリムシ科 | | | Cerambycidae | Asaperda bicostata | Hayashi, 1956 | | | | dorsal |  |
| カミキリムシ科 | | | Cerambycidae | Asaperda kani | Hayashi, 1976 | | | | dorsal |  |
| カミキリムシ科 | | | Cerambycidae | Atimia fujimurai | Hayashi, 1972 | | | | dorsal |  |
| カミキリムシ科 | | | Cerambycidae | Atimia okayamensis | Hayashi, 1972 | | | | dorsal |  |
| カミキリムシ科 | | | Cerambycidae | Bumetopia lutavana | HAYASHI | | | T.Shibata Coll. (deposit) | | |
| カミキリムシ科 | | | Cerambycidae | Bumetopia sakishimana | Hayashi, 1966 | | | | dorsal |  |
| カミキリムシ科 | | | Cerambycidae | Bumetopia senkakuana | Hayashi, 1972 | | | | dorsal |  |
| カミキリムシ科 | | | Cerambycidae | Bumetopia yagii | Hayashi, 1994 | | | | dorsal |  |
| カミキリムシ科 | | | Cerambycidae | Bumetopia yagii | Hayashi, 1994 | | | | ventral |  |
| カミキリムシ科 | | | Cerambycidae | Callichromopsis albosignatus | Hayashi, 1977 | | | | dorsal |  |
| カミキリムシ科 | | | Cerambycidae | Calliobromopsis albosignatus | HAYASHI | | | T.Shibata Coll. (deposit) | | |
| カミキリムシ科 | | | Cerambycidae | Ceresium manchuricum | Hayashi, 1957 | | | | ventral |  |
| カミキリムシ科 | | | Cerambycidae | Chelidonium obscurum | HAYASHI | | | T.Shibata Coll. (deposit) | | |
| カミキリムシ科 | | | Cerambycidae | Chloridolum shibatai | HAYASHI | | | T.Shibata Coll. (deposit) | | |
| カミキリムシ科 | | | Cerambycidae | Chloridolum sumatrense | Hayashi, 1994 | | | | dorsal |  |
| カミキリムシ科 | | | Cerambycidae | Chloridolum sumatrense | Hayashi, 1994 | | | | ventral |  |
| カミキリムシ科 | | | Cerambycidae | Chlorophorus amami | Hayashi, 1968 | | | | dorsal |  |
| カミキリムシ科 | | | Cerambycidae | Chlorophorus semikanoi | Hayashi, 1974 | | | | dorsal |  |
| カミキリムシ科 | | | Cerambycidae | Chlorophorus shirozui | Hayashi, 1965 | | | | dorsal |  |
| カミキリムシ科 | | | Cerambycidae | Chlorophorus shirozui | Hayashi, 1965 | | | | ventral |  |
| カミキリムシ科 | | | Cerambycidae | Cleomenes malayanus | HAYASHI | | | T.Shibata Coll. (deposit) | | |
| カミキリムシ科 | | | Cerambycidae | Clytellus kiyoyamai | HAYASHI | | | T.Shibata Coll. (deposit) | | |
| カミキリムシ科 | | | Cerambycidae | Clytellus shibatai | HAYASHI | | | T.Shibata Coll. (deposit) | | |
| カミキリムシ科 | | | Cerambycidae | Clytellus viridipennis | Hayashi, 1977 | | | | dorsal |  |
| カミキリムシ科 | | | Cerambycidae | Clytellus viridipennis | Hayashi, 1977 | | | | ventral |  |
| カミキリムシ科 | | | Cerambycidae | Clytellus westwoodi malayanus | HAYASHI | | | T.Shibata Coll. (deposit) | | |
| カミキリムシ科 | | | Cerambycidae | Clytocera taiwanensis | Hayashi, 1974 | | | | dorsal |  |
| カミキリムシ科 | | | Cerambycidae | Clytocera taiwanensis | Hayashi, 1974 | | | | ventral |  |
| カミキリムシ科 | | | Cerambycidae | Comusta malayana | HAYASHI | | | T.Shibata Coll. (deposit) | | |
| カミキリムシ科 | | | Cerambycidae | Corennys taiwana | Hayashi, 1963 | | | | dorsal |  |
| カミキリムシ科 | | | Cerambycidae | Corennys taiwana | Hayashi, 1963 | | | | ventral |  |
| カミキリムシ科 | | | Cerambycidae | Corennys taiwana | Hayashi, 1963 | | | | dorsal |  |
| カミキリムシ科 | | | Cerambycidae | Cymaterus plicalicollis | HAYASHI | | | T.Shibata Coll. (deposit) | | |
| カミキリムシ科 | | | Cerambycidae | Cypriola sejuncta hamai | Hayashi, 1962 | | | | dorsal |  |
| カミキリムシ科 | | | Cerambycidae | Cypriola sejuncta hamai | Hayashi, 1962 | | | | ventral |  |
| カミキリムシ科 | | | Cerambycidae | Demonax bidenticornis | Hayashi, 1974 | | | | dorsal |  |
| カミキリムシ科 | | | Cerambycidae | Demonax nawatai | Hayashi, 1975 | | | | dorsal |  |
| カミキリムシ科 | | | Cerambycidae | Demonax semixeniscus | HAYASHI | | | T.Shibata Coll. (deposit) | | |
| カミキリムシ科 | | | Cerambycidae | Demonax triarticulodilatatus | Hayashi, 1974 | | | | ventral |  |
| カミキリムシ科 | | | Cerambycidae | Demonax triarticulodilatatus | Hayashi, 1974 | | | | dorsal |  |
| カミキリムシ科 | | | Cerambycidae | Demonax unidenticornis | Hayashi, 1974 | | | | dorsal |  |
| カミキリムシ科 | | | Cerambycidae | Derolus trifulvofasciatus | Hayashi, 1975 | | | | dorsal |  |
| カミキリムシ科 | | | Cerambycidae | Derolus trifulvofasciatus | Hayashi, 1975 | | | | ventral |  |
| カミキリムシ科 | | | Cerambycidae | Egesina (Egesina) albofasciata | Hayashi, 1974 | | | | dorsal |  |
| カミキリムシ科 | | | Cerambycidae | Egesina formosana picea | HAYASHI | | | T.Shibata Coll. (deposit) | | |
| カミキリムシ科 | | | Cerambycidae | Egesina shibatai | HAYASHI | | | T.Shibata Coll. (deposit) | | |
| カミキリムシ科 | | | Cerambycidae | Epania atra | Hayashi, 1978 | | | | dorsal |  |
| カミキリムシ科 | | | Cerambycidae | Epania dilaticorne | Hayashi, 1950 | | | | dorsal |  |
| カミキリムシ科 | | | Cerambycidae | Epania maruokai | Hayashi, 1968 | | | | dorsal |  |
| カミキリムシ科 | | | Cerambycidae | Epania maruokai | Hayashi, 1968 | | | | dorsal |  |
| カミキリムシ科 | | | Cerambycidae | Epania septemtrionalis shibatai | Hayashi, 1976 | | | | dorsal |  |
| カミキリムシ科 | | | Cerambycidae | Epania shikokensis okinawana | Hayashi, 1976 | | | | dorsal |  |
| カミキリムシ科 | | | Cerambycidae | Epania shikokensis okinawana | Hayashi, 1976 | | | | ventral |  |
| カミキリムシ科 | | | Cerambycidae | Epania taiwana | Hayashi | | | | dorsal |  |
| カミキリムシ科 | | | Cerambycidae | Epania taiwana | Hayashi | | | | ventral |  |
| カミキリムシ科 | | | Cerambycidae | Ephies hefferni | Hayashi et Nara, 1996 | | | | dorsal |  |
| カミキリムシ科 | | | Cerambycidae | Ephies hefferni | Hayashi et Nara, 1996 | | | | ventral |  |
| カミキリムシ科 | | | Cerambycidae | Ephies nigrosericeus | Hayashi, 1977 | | | | dorsal |  |
| カミキリムシ科 | | | Cerambycidae | Ephies nigrosericeus | Hayashi, 1977 | | | | ventral |  |
| カミキリムシ科 | | | Cerambycidae | Ephies thailandensis | Hayashi et Villiers, 1989 | | | | dorsal |  |
| カミキリムシ科 | | | Cerambycidae | Ephra epipadiforma | HAYASHI | | | T.Shibata Coll. (deposit) | | |
| カミキリムシ科 | | | Cerambycidae | Eryssamena amanoi | Hayashi, 1961 | | | | dorsal |  |
| カミキリムシ科 | | | Cerambycidae | Eryssamena taiwana | Hayashi, 1974 | | | | dorsal |  |
| カミキリムシ科 | | | Cerambycidae | Eumecocera atrofusca | Hayashi, 1960 | | | | dorsal |  |
| カミキリムシ科 | | | Cerambycidae | Eumecocera pterocaryai | Hayashi, 1960 | | | | ventral |  |
| カミキリムシ科 | | | Cerambycidae | Eumecocera pterocaryai | Hayashi, 1960 | | | | dorsal |  |
| カミキリムシ科 | | | Cerambycidae | Eunidia taiwanensis | Hayashi et Nara, 1992 | | | | dorsal |  |
| カミキリムシ科 | | | Cerambycidae | Eunidia taiwanensis | Hayashi et Nara, 1992 | | | | lateral |  |
| カミキリムシ科 | | | Cerambycidae | Examnes elongatithorax | HAYASHI | | | T.Shibata Coll. (deposit) | | |
| カミキリムシ科 | | | Cerambycidae | Falsoibidion fuscipes | HAYASHI | | | T.Shibata Coll. (deposit) | | |
| カミキリムシ科 | | | Cerambycidae | Formosopyrrhona satoi | (Hayashi, 1957) | | | | dorsal |  |
| カミキリムシ科 | | | Cerambycidae | Formosopyrrhona satoi | (Hayashi, 1957) | | | | ventral |  |
| カミキリムシ科 | | | Cerambycidae | Formosotoxotus flavopubescens | HAYASHI | | | T.Shibata Coll. (deposit) | | |
| カミキリムシ科 | | | Cerambycidae | Formosotoxotus malaysianus | Hayashi | | | | dorsal |  |
| カミキリムシ科 | | | Cerambycidae | Gauresthes malayanus | Hayashi, 1985 | | | | dorsal |  |
| カミキリムシ科 | | | Cerambycidae | Glaphyra jiuyuehtana | Hayashi, 1984 | | | | dorsal |  |
| カミキリムシ科 | | | Cerambycidae | Glenea nanshanchiana | HAYASHI | | | T.Shibata Coll. (deposit) | | |
| カミキリムシ科 | | | Cerambycidae | Graphidessa variegata | Hayashi, 1974 | | | | dorsal |  |
| カミキリムシ科 | | | Cerambycidae | Idiostrangalia akiyamai | Hayashi, 1978 | | | | dorsal |  |
| カミキリムシ科 | | | Cerambycidae | Idiostrangalia akiyamai | Hayashi, 1978 | | | | ventral |  |
| カミキリムシ科 | | | Cerambycidae | Kunbir nomurai | Hayashi, 1974 | | | | dorsal |  |
| カミキリムシ科 | | | Cerambycidae | Kunbir nomurai | Hayashi, 1974 | | | | ventral |  |
| カミキリムシ科 | | | Cerambycidae | Kurarua shibatai | Hayashi, 1979 | | | | dorsal |  |
| カミキリムシ科 | | | Cerambycidae | Lachnopterus argenteomaculatus | Hayashi, 1982 | | | | dorsal |  |
| カミキリムシ科 | | | Cerambycidae | Lachnopterus argenteomaculatus | Hayashi, 1982 | | | | ventral |  |
| カミキリムシ科 | | | Cerambycidae | Lachnopterus matsudai | Hayashi | | | | dorsal |  |
| カミキリムシ科 | | | Cerambycidae | Lachnopterus matsudai | Hayashi | | | | ventral |  |
| カミキリムシ科 | | | Cerambycidae | Leiops shibatai | HAYASHI | | | T.Shibata Coll. (deposit) | | |
| カミキリムシ科 | | | Cerambycidae | Lemula cyanipennis | Hayashi, 1974 | | | | dorsal |  |
| カミキリムシ科 | | | Cerambycidae | Lemura densepunctata | HAYASHI | | | T.Shibata Coll. (deposit) | | |
| カミキリムシ科 | | | Cerambycidae | Leptepania chaiglomi | Hayashi, 1974 | | | | dorsal |  |
| カミキリムシ科 | | | Cerambycidae | Leptepania chaiglomi | Hayashi, 1974 | | | | ventral |  |
| カミキリムシ科 | | | Cerambycidae | Leptepania sakaii | Hayashi, 1974 | | | | dorsal |  |
| カミキリムシ科 | | OMNH TI 527 | Cerambycidae | Leptepania sakaii | Hayashi, 1974 | | | | ventral |  |
| カミキリムシ科 | | | Cerambycidae | Leptostrangalia malasiaca | Hayashi, 1979 | | | | dorsal |  |
| カミキリムシ科 | | | Cerambycidae | Leptostrangalia malasiaca | Hayashi, 1979 | | | | ventral |  |
| カミキリムシ科 | | | Cerambycidae | Leptostrangalia marginipennis | HAYASHI | | | T.Shibata Coll. (deposit) | | |
| カミキリムシ科 | | | Cerambycidae | Leptostrangalia trisignatipennis | HAYASHI | | | T.Shibata Coll. (deposit) | | |
| カミキリムシ科 | | | Cerambycidae | Leptura subtilis aureopubescens | HAYASHI | | | T.Shibata Coll. (deposit) | | |
| カミキリムシ科 | | | Cerambycidae | Malayanomotorchus serraticornis | HAYASHI | | | T.Shibata Coll. (deposit) | | |
| カミキリムシ科 | | | Cerambycidae | Megopis (Aegosoma) kawazoei | Hayashi, 1961 | | | | dorsal |  |
| カミキリムシ科 | | | Cerambycidae | Megopis (Aegosoma) kawazoei | Hayashi, 1961 | | | | ventral |  |
| カミキリムシ科 | | | Cerambycidae | Menesia matsudai | Hayashi, 1985 | | | | dorsal |  |
| カミキリムシ科 | | | Cerambycidae | Mesechthistatus fujisanus | Hayashi, 1957 | | | | ventral |  |
| カミキリムシ科 | | | Cerambycidae | Mesechthistatus fujisanus | Hayashi, 1957 | | | | dorsal |  |
| カミキリムシ科 | | | Cerambycidae | Mesosa (Mesosa) konoi | Hayashi, 1956 | | | | dorsal |  |
| カミキリムシ科 | | | Cerambycidae | Mesosa (Mesosa) konoi | Hayashi, 1956 | | | | ventral |  |
| カミキリムシ科 | | | Cerambycidae | Mesosa (Perimesosa) miyamotoi | Hayashi, 1956 | | | | dorsal |  |
| カミキリムシ科 | | | Cerambycidae | Mesosa (Perimesosa) miyamotoi | Hayashi, 1956 | | | | ventral |  |
| カミキリムシ科 | | | Cerambycidae | Mesosa (Saimia) kojimai | (Hayashi, 1974) | | | | dorsal |  |
| カミキリムシ科 | | | Cerambycidae | Mesosa (Saimia) kojimai | (Hayashi, 1974) | | | | ventral |  |
| カミキリムシ科 | | | Cerambycidae | Mesosa (Saimia) yamawakii | Hayashi, 1976 | | | | dorsal |  |
| カミキリムシ科 | | | Cerambycidae | Mesosa (Saimia) yamawakii | Hayashi, 1976 | | | | ventral |  |
| カミキリムシ科 | | | Cerambycidae | Metalloleptura basirufipes | Hayashi, 1983 | | | | dorsal |  |
| カミキリムシ科 | | | Cerambycidae | Metalloleptura basirufipes | Hayashi, 1983 | | | | ventral |  |
| カミキリムシ科 | | | Cerambycidae | Metalloleptura ochraceovittata | Hayashi, 1979 | | | | dorsal |  |
| カミキリムシ科 | | | Cerambycidae | Metalloleptura ochraceovittata | Hayashi, 1979 | | | | ventral |  |
| カミキリムシ科 | | | Cerambycidae | Metalloleptura rufofemorata | Hayashi et Villiers, 1987 | | | | dorsal |  |
| カミキリムシ科 | | | Cerambycidae | Miccolamia castaneoverrucosa | HAYASHI | | | T.Shibata Coll. (deposit) | | |
| カミキリムシ科 | | | Cerambycidae | microdebilissa obscura | Hayashi, 1971 | | | | dorsal |  |
| カミキリムシ科 | | | Cerambycidae | Microlera yayeyamensis | Hayashi, 1968 | | | | dorsal |  |
| カミキリムシ科 | | | Cerambycidae | Mimectatina murakamii | Hayashi, 1978 | | | | dorsal |  |
| カミキリムシ科 | | | Cerambycidae | Mimistena biplagiata quadrimaculata | Hayashi, 1975 | | | | dorsal |  |
| カミキリムシ科 | | | Cerambycidae | Mimorsidis taiwanensis | Hayashi, 1974 | | | | dorsal |  |
| カミキリムシ科 | | | Cerambycidae | Molorchus (Linomius) cobaltinus | Hayashi, 1963 | | | | dorsal |  |
| カミキリムシ科 | | | Cerambycidae | Molorchus (Linomius) fuscipennis | Hayashi, 1963 | | | | dorsal |  |
| カミキリムシ科 | | | Cerambycidae | Molorchus (Linomius) gracilis | Hayashi, 1949 | | | | dorsal |  |
| カミキリムシ科 | | | Cerambycidae | Molorchus (Linomius) japonicus | Hayashi, 1948 | | | | dorsal |  |
| カミキリムシ科 | | | Cerambycidae | Molorchus (Linomius) kiyoyamai | Hayashi, 1974 | | | | dorsal |  |
| カミキリムシ科 | | | Cerambycidae | Molorchus (Linomius) kiyoyamai | Hayashi, 1974 | | | | ventral |  |
| カミキリムシ科 | | | Cerambycidae | Molorchus (Linomius) lishanensis | Hayashi, 1974 | | | | dorsal |  |
| カミキリムシ科 | | | Cerambycidae | Molorchus (Linomius) lishanensis | Hayashi, 1974 | | | | ventral |  |
| カミキリムシ科 | | | Cerambycidae | Molorchus (Linomius) viridescens | Hayashi et Matsuda, 1976 | | | | dorsal |  |
| カミキリムシ科 | | | Cerambycidae | Molorchus (Linomius) viridescens | Hayashi et Matsuda, 1976 | | | | ventral |  |
| カミキリムシ科 | | | Cerambycidae | Molorchus shibatai | HAYASHI | | | T.Shibata Coll. (deposit) | | |
| カミキリムシ科 | | | Cerambycidae | Molorchus taiwanus | Hayashi et Matsuda, 1976 | | | | dorsal |  |
| カミキリムシ科 | | | Cerambycidae | Molorchus taiwanus | Hayashi et Matsuda, 1976 | | | | ventral |  |
| カミキリムシ科 | | | Cerambycidae | Molorchus thailandicus | Hayashi, 1967 | | | | dorsal |  |
| カミキリムシ科 | | | Cerambycidae | Molorchus thailandicus | Hayashi, 1967 | | | | ventral |  |
| カミキリムシ科 | | | Cerambycidae | Monochamus maruokai | Hayashi, 1962 | | | | dorsal |  |
| カミキリムシ科 | | | Cerambycidae | Monochamus maruokai | Hayashi, 1962 | | | | ventral |  |
| カミキリムシ科 | | | Cerambycidae | Monochamus maruokai | Hayashi, 1962 | | | | dorsal |  |
| カミキリムシ科 | | | Cerambycidae | Monochamus maruokai | Hayashi, 1962 | | | | ventral |  |
| カミキリムシ科 | | | Cerambycidae | Myagrus n.sp. | HAYASHI | | | T.Shibata Coll. (deposit) | | |
| カミキリムシ科 | | | Cerambycidae | Myagrus yagii | Hayashi, 1994 | | | | dorsal |  |
| カミキリムシ科 | | | Cerambycidae | Nadezhdiella japonica | Hayashi, 1972 | | | | dorsal |  |
| カミキリムシ科 | | | Cerambycidae | Nadezhdiella japonica | Hayashi, 1972 | | | | ventral |  |
| カミキリムシ科 | | | Cerambycidae | Necydalis (Necydalisca) odai | Hayashi, 1951 | | | | dorsal |  |
| カミキリムシ科 | | | Cerambycidae | Necydalis (Necydalisca) odai | Hayashi, 1951 | | | | ventral |  |
| カミキリムシ科 | | | Cerambycidae | Necydalis (Necydalisca) odai | Hayashi, 1951 | | | | dorsal |  |
| カミキリムシ科 | | | Cerambycidae | Necydalis (Necydalisca) odai | Hayashi, 1951 | | | | ventral |  |
| カミキリムシ科 | | | Cerambycidae | Necydalis malayanus | HAYASHI | | | T.Shibata Coll. (deposit) | | |
| カミキリムシ科 | | | Cerambycidae | Neorhamnusium taiwanum | Hayashi et Ando, 1976 | | | | dorsal |  |
| カミキリムシ科 | | | Cerambycidae | Neorhamnusium taiwanum | Hayashi et Ando, 1976 | | | | ventral |  |
| カミキリムシ科 | | | Cerambycidae | Nidella rufobasimaculata | Hayashi, 1979 | | | | dorsal |  |
| カミキリムシ科 | | | Cerambycidae | Nidella rufobasimaculata | Hayashi, 1979 | | | | ventral |  |
| カミキリムシ科 | | | Cerambycidae | Noemia cupreoviridana | HAYASHI | | | T.Shibata Coll. (deposit) | | |
| カミキリムシ科 | | | Cerambycidae | Obrium fuscoapicalis | Hayashi, 1974 | | | | dorsal |  |
| カミキリムシ科 | | | Cerambycidae | Obrium fuscoapicalis | Hayashi, 1974 | | | | ventral |  |
| カミキリムシ科 | | | Cerambycidae | Obrium pallidisignatum | Hayashi, 1977 | | | | dorsal |  |
| カミキリムシ科 | | | Cerambycidae | Obrium piceorubrum | Hayashi, 1971 | | | | dorsal |  |
| カミキリムシ科 | | | Cerambycidae | Obrium tsushimanum | Hayashi, 1974 | | | | dorsal |  |
| カミキリムシ科 | | | Cerambycidae | Ochrocesis cyaneoapicalis | HAYASHI | | | T.Shibata Coll. (deposit) | | |
| カミキリムシ科 | | | Cerambycidae | Ohbayashia fuscoaenea | Hayashi, 1974 | | | | dorsal |  |
| カミキリムシ科 | | | Cerambycidae | Ohbayashia fuscoaenea | Hayashi, 1974 | | | | ventral |  |
| カミキリムシ科 | | | Cerambycidae | Ohbayashia nigromarginata | (Hayashi, 1953) | | | | ventral |  |
| カミキリムシ科 | | | Cerambycidae | Ohbayashia nigromarginata | (Hayashi, 1953) | | | | dorsal |  |
| カミキリムシ科 | | | Cerambycidae | Ohbayashia nigromarginata rufoflava | Hayashi, 1968 | | | | dorsal |  |
| カミキリムシ科 | | | Cerambycidae | Oligoenoplus malayanus | Hayashi, 1979 | | | | dorsal |  |
| カミキリムシ科 | | | Cerambycidae | Oligoenoplus olivaceosignatus | HAYASHI | | | T.Shibata Coll. (deposit) | | |
| カミキリムシ科 | | | Cerambycidae | Oplatocera shibatai | HAYASHI | | | T.Shibata Coll. (deposit) | | |
| カミキリムシ科 | | | Cerambycidae | Parandra lanyuana | Hayashi 1981 | | | | dorsal |  |
| カミキリムシ科 | | | Cerambycidae | Parandra shibatai | HAYASHI | | | T.Shibata Coll. (deposit) | | |
| カミキリムシ科 | | | Cerambycidae | Paraneosybra fulvofasciata | Hayashi, 1978 | | | | dorsal |  |
| カミキリムシ科 | | | Cerambycidae | Parastrangalis ishigakiensis | Hayashi, 1971 | | | | dorsal |  |
| カミキリムシ科 | | | Cerambycidae | Parastrangalis mitonoi | (Hayashi et Iga, 1951) | | | | dorsal |  |
| カミキリムシ科 | | | Cerambycidae | Parechthistatus gibber longicornis | Hayashi, 1951 | | | | dorsal |  |
| カミキリムシ科 | | | Cerambycidae | Parechthistatus gibber longicornis | Hayashi, 1951 | | | | ventral |  |
| カミキリムシ科 | | | Cerambycidae | Parechthistatus gibber longicornis | Hayashi, 1951 | | | | dorsal |  |
| カミキリムシ科 | | | Cerambycidae | Parechthistatus gibber longicornis | Hayashi, 1951 | | | | ventral |  |
| カミキリムシ科 | | | Cerambycidae | Parechthistatus inexpectus | Hayashi, 1959 | | | | dorsal |  |
| カミキリムシ科 | | | Cerambycidae | Parechthistatus inexpectus | Hayashi, 1959 | | | | ventral |  |
| カミキリムシ科 | | | Cerambycidae | Phytodexia atronitida | HAYASHI | | | T.Shibata Coll. (deposit) | | |
| カミキリムシ科 | | | Cerambycidae | Pidonia discoidalis amanoi | Hayashi, 1969 | | | | dorsal |  |
| カミキリムシ科 | | | Cerambycidae | Polyphidiopsis punctatus | HAYASHI | | | T.Shibata Coll. (deposit) | | |
| カミキリムシ科 | | | Cerambycidae | Pothyne imasakai | Hayashi, 1976 | | | | dorsal |  |
| カミキリムシ科 | | | Cerambycidae | Pothyne lanhsuensis | Hayashi, 1978 | | | | dorsal |  |
| カミキリムシ科 | | | Cerambycidae | Pothyne mamutensis | Hayashi, 1975 | | | | dorsal |  |
| カミキリムシ科 | | | Cerambycidae | Pothyne miyakoensis | Hayashi, 1976 | | | | dorsal |  |
| カミキリムシ科 | | | Cerambycidae | Pothyne sabahensis | Hayashi, 1975 | | | | dorsal |  |
| カミキリムシ科 | | | Cerambycidae | Pothyne sabahensis | Hayashi, 1975 | | | | ventral |  |
| カミキリムシ科 | | | Cerambycidae | Prionus scabropunctatus | HAYASHI | | | T.Shibata Coll. (deposit) | | |
| カミキリムシ科 | | | Cerambycidae | Psephactus remiger insularis | Hayashi, 1961 | | | | dorsal |  |
| カミキリムシ科 | | | Cerambycidae | Psephactus remiger insularis | Hayashi, 1961 | | | | ventral |  |
| カミキリムシ科 | | | Cerambycidae | Pseudale adachii | Hayashi, 1983 | | | | dorsal |  |
| カミキリムシ科 | | | Cerambycidae | Pseudale gibbosipennis | Hayashi, 1983 | | | | dorsal |  |
| カミキリムシ科 | | | Cerambycidae | Pseudale izumikurana | Hayashi, 1971 | | | | dorsal |  |
| カミキリムシ科 | | | Cerambycidae | Pseudale obovata | Hayashi, 1971 | | | | dorsal |  |
| カミキリムシ科 | | | Cerambycidae | Pseudiphra albofasciata | Hayashi, 1977 | | | | dorsal |  |
| カミキリムシ科 | | | Cerambycidae | Pseudiphra albofasciata | Hayashi, 1977 | | | | ventral |  |
| カミキリムシ科 | | | Cerambycidae | Pseudoparanaspia nigra | Hayashi, 1977 | | | | dorsal |  |
| カミキリムシ科 | | | Cerambycidae | Pseudoparanaspia parallelipennis | Hayashi, 1977 | | | | dorsal |  |
| カミキリムシ科 | | | Cerambycidae | Pseudoparanaspia semiephies | Hayashi, 1977 | | | | dorsal |  |
| カミキリムシ科 | | | Cerambycidae | Pseudoparanaspia semiephies | Hayashi, 1977 | | | | ventral |  |
| カミキリムシ科 | | | Cerambycidae | Psilomerus kishimotoi | Hayashi, 1975 | | | | dorsal |  |
| カミキリムシ科 | | | Cerambycidae | Pygostrangalia (Idiostrangalia) maruokai | Hayashi, 1963 | | | | dorsal |  |
| カミキリムシ科 | | | Cerambycidae | Pygostrangalia kurodai | Hayashi, 1976 | | | | dorsal |  |
| カミキリムシ科 | | | Cerambycidae | Pygostrangalia kurodai | Hayashi, 1976 | | | | ventral |  |
| カミキリムシ科 | | | Cerambycidae | Pyrestes inaequalicollis | HAYASHI | | | T.Shibata Coll. (deposit) | | |
| カミキリムシ科 | | | Cerambycidae | Pyrestes nipponicus | Hayashi, 1987 | | | | dorsal |  |
| カミキリムシ科 | | | Cerambycidae | Pyrestes nipponicus | Hayashi, 1987 | | | | ventral |  |
| カミキリムシ科 | | | Cerambycidae | Pyrestes yayeyamensis | Hayashi, 1972 | | | | dorsal |  |
| カミキリムシ科 | | | Cerambycidae | Pyrestes yayeyamensis | Hayashi, 1972 | | | | ventral |  |
| カミキリムシ科 | | | Cerambycidae | Rhodopina okinoerabuana komiyai | Hayashi, 1969 | | | | dorsal |  |
| カミキリムシ科 | | | Cerambycidae | Rondibilis japonicus | Hayashi, 1968 [sic] | | | | dorsal |  |
| カミキリムシ科 | | | Cerambycidae | Rondibilis semielongata | Hayashi, 1974 | | | | dorsal |  |
| カミキリムシ科 | | | Cerambycidae | Rondonia bisignata | Hayashi, 1976 | | | | dorsal |  |
| カミキリムシ科 | | | Cerambycidae | Ropica formosana japonica | Hayashi, 1972 | | | | dorsal |  |
| カミキリムシ科 | | | Cerambycidae | Ropica formosana tsushimensis | Hayashi, 1972 | | | | dorsal |  |
| カミキリムシ科 | | | Cerambycidae | Ropica fuscolaterimaculata | Hayashi, 1974 | | | | dorsal |  |
| カミキリムシ科 | | | Cerambycidae | Ropica mizoguchii | Hayashi, 1956 | | | | dorsal |  |
| カミキリムシ科 | | | Cerambycidae | Sarmydus malayanus | Hayashi, 1979 | | | | dorsal |  |
| カミキリムシ科 | | | Cerambycidae | Sarmydus malayanus | Hayashi, 1979 | | | | ventral |  |
| カミキリムシ科 | | | Cerambycidae | Schwarzerium viridescens | HAYASHI | | | T.Shibata Coll. (deposit) | | |
| カミキリムシ科 | | | Cerambycidae | Serixia hayashii | HAYASHI | | | T.Shibata Coll. (deposit) | | |
| カミキリムシ科 | | | Cerambycidae | Stegonoganthia malaysiaca | HAYASHI | | | T.Shibata Coll. (deposit) | | |
| カミキリムシ科 | | | Cerambycidae | Stenhomalus muneaka | Hayashi, 1981 | | | | dorsal |  |
| カミキリムシ科 | | | Cerambycidae | Stenhomalus muneaka | Hayashi, 1981 | | | | ventral |  |
| カミキリムシ科 | | | Cerambycidae | Stenhomalus suturalis | HAYASHI | | | T.Shibata Coll. (deposit) | | |
| カミキリムシ科 | | | Cerambycidae | Stenodryas fuscomaculatus | HAYASHI | | | T.Shibata Coll. (deposit) | | |
| カミキリムシ科 | | | Cerambycidae | Stenoleptura fuscosignata | Hayashi, 1977 | | | | dorsal |  |
| カミキリムシ科 | | | Cerambycidae | Stenoleptura malayana | Hayashi, 1977 | | | | dorsal |  |
| カミキリムシ科 | | | Cerambycidae | Stensleptura nigromarginata | HAYASHI | | | T.Shibata Coll. (deposit) | | |
| カミキリムシ科 | | | Cerambycidae | Sybra ordinata flavostriata | Hayashi, 1968 | | | | dorsal |  |
| カミキリムシ科 | | | Cerambycidae | Sybrodiboma mikurensis | Hayashi, 1971 | | | | dorsal |  |
| カミキリムシ科 | | | Cerambycidae | Sybrodiboma taiwanensis | Hayashi, 1974 | | | | dorsal |  |
| カミキリムシ科 | | | Cerambycidae | Taiwanajinga albofasciata | Hayashi, 1978 | | | | dorsal |  |
| カミキリムシ科 | | | Cerambycidae | Taiwanajinga albofasciata | Hayashi, 1978 | | | | ventral |  |
| カミキリムシ科 | | | Cerambycidae | Tethionea nigromarginata | HAYASHI | | | T.Shibata Coll. (deposit) | | |
| カミキリムシ科 | | | Cerambycidae | Tetraommatus frunneas | HAYASHI | | | T.Shibata Coll. (deposit) | | |
| カミキリムシ科 | | | Cerambycidae | Xylariopsis iriei | Hayashi, 1976 | | | | dorsal |  |
| カミキリムシ科 | | | Cerambycidae | Xylariopsis uenoi | Hayashi, 1994 | | | | dorsal |  |
| カミキリムシ科 | | | Cerambycidae | Zoodes japonicus | Hayashi, 1963 | | | | dorsal |  |
| カミキリムシ科 | | | Cerambycidae | Zoodes japonicus | Hayashi, 1963 | | | | ventral |  |
| ハムシ科 | | | Chrysomelidae | Arthrotus shibatai | KIMOTO | | | T.Shibata Coll. (deposit) | | |
| ハムシ科 | | | Chrysomelidae | Caloricrus collaris | KIMOTO | | | T.Shibata Coll. (deposit) | | |
| ハムシ科 | | | Chrysomelidae | Cynorta shibatai | CHUJO | | | T.Shibata Coll. (deposit) | | |
| ハムシ科 | | OMNH TI 38 | Chrysomelidae | Demotina imasakai | Isono, 1990 | Kumamoto, JAPAN | Jpn. J. Entomol. 58(2): 375-382. | | | LINK |
| ハムシ科 | | OMNH TI 39 | Chrysomelidae | Demotina serrivintris | Isono, 1990 | Nantou, TAIWAN | Jpn. J. Entomol. 58(2): 375-382. | | | LINK |
| ハムシ科 | | OMNH TI 40 | Chrysomelidae | Demotina squamosa | Isono, 1990 | Fukuoka, JAPAN | Jpn. J. Entomol. 58(2): 375-382. | | | |
| ハムシ科 | | OMNH TI 41 | Chrysomelidae | Demotina verralis | Isono, 1990 | Kanagawa, JAPAN | Jpn. J. Entomol. 58(2): 375-382. | | | LINK |
| ハムシ科 | | OMNH TI 6 | Chrysomelidae | Donacia katsurai | Kimoto, 1981 | Hyogo, JAPAN | Bull. Osaka Mus. Nat. Hist. 34: 24 . | | | LINK |
| ハムシ科 | | OMNH TI 195 | Chrysomelidae | Donacia miyatakei | Hayashi, 2004 | Taiping Lake, Perak, MALAYSIA | Elytra 32(2): 415-419. | | | |
| ハムシ科 | | OMNH TI 73 | Chrysomelidae | Donacia nagaokanaナガオカネクイハムシ | Hayashi, 1998 | Nagaoka City, Niigata Pref.,JAPAN | Bull. Osaka Mus. Nat. Hist. (52): 37-47. | | | |
| ハムシ科 | | OMNH TI 126 | Chrysomelidae | Donacia tominagaiクロヒラタネクイハムシ | Hayashi, 2000 | Taisetsu-kogen, Hokkaido,JAPAN | Entomol. Rev. Jpn. 55(1):5-13. | | | |
| ハムシ科 | | OMNH TI 122 | Chrysomelidae | Donacia uedanaウオヌマヒラタネクイハムシ | Hayashi, 2000 | Niigata Pref.,JAPAN | Bull. Osaka Mus. Nat. Hist. 54:31-48. | | | |
| ハムシ科 | | | Chrysomelidae | Galerucella shibatai | CHUJO | | | T.Shibata Coll. (deposit) | | |
| ハムシ科 | | | Chrysomelidae | Hanolepts fulra | KIMOTO | | | T.Shibata Coll. (deposit) | | |
| ハムシ科 | | OMNH TI 130 | Chrysomelidae | Hayashi, 2001 | | , | | | | |
| ハムシ科 | | | Chrysomelidae | Japonitata juadricostata | KIMOTO | | | T.Shibata Coll. (deposit) | | |
| ハムシ科 | | | Chrysomelidae | Khasia itoi | KIMOTO | | | T.Shibata Coll. (deposit) | | |
| ハムシ科 | | | Chrysomelidae | Longitarsus shibatai | CHUJO | | | T.Shibata Coll. (deposit) | | |
| ハムシ科 | | | Chrysomelidae | Manobia hayashii | KIMOTO | | | T.Shibata Coll. (deposit) | | |
| ハムシ科 | | | Chrysomelidae | Mimasfracella bicolor | KIMOTO | | | T.Shibata Coll. (deposit) | | |
| ハムシ科 | | | Chrysomelidae | Monolepta hiurai | Kimoto, 1964 | Akita JAPAN | | | | |
| ハムシ科 | | | Chrysomelidae | Notosacantha shibatai | KIMOTO | | | T.Shibata Coll. (deposit) | | |
| ハムシ科 | | OMNH TI 16 | Chrysomelidae | Plateumaris akiensis | Tominaga et Katsura, 1984 | Hiroshima Pref., JAPAN | Bull. Osaka Mus. Nat. Hist. 37:25-40. | | | |
| ハムシ科 | | OMNH TI 18 | Chrysomelidae | Plateumaris constricticollis chugokuensis | Tominaga et Katsura, 1984 | Okayama Pref., JAPAN | Bull. Osaka Mus. Nat. Hist. 37:25-40. | | | |
| ハムシ科 | | OMNH TI 17 | Chrysomelidae | Plateumaris constricticollis toyamensis | Tominaga et Katsura, 1984 | Toyama Pref., JAPAN | Bull. Osaka Mus. Nat. Hist. 37:25-40. | | | |
| ハムシ科 | | OMNH TI 65 | Chrysomelidae | Plateumaris dorsata | Hayashi, 1997 | Saitama Pref., JAPAN | Earth Science (Chikyu Kagaku), 51(5): 361- 370.*A fossil species. | | | |
| ハムシ科 | | OMNH TI 97 | Chrysomelidae | Plateumaris virens | Hayashi, 1999 | Niigata Pref., JAPAN | Bull. Osaka Mus. Nat. Hist. 53:1-22. | | | |
| ハムシ科 | | | Chrysomelidae | Pyrrhata igai | KIMOTO | | | T.Shibata Coll. (deposit) | | |
| ハムシ科 | | | Chrysomelidae | Pyrrhata kobyashii | KIMOTO | | | T.Shibata Coll. (deposit) | | |
| ハムシ科 | | | Chrysomelidae | Pyrrhata viridipennis | KIMOTO | | | T.Shibata Coll. (deposit) | | |
| ハムシ科 | | | Chrysomelidae | Smaragdina kurosuji | KIMOTO | | | T.Shibata Coll. (deposit) | | |
| ハムシ科 | | | Chrysomelidae | Stenoluperus itoi | KIMOTO | | | T.Shibata Coll. (deposit) | | |
| ハムシ科 | | | Chrysomelidae | Stenoluperus minor | KIMOTO | | | T.Shibata Coll. (deposit) | | |
| ハムシ科 | | | Chrysomelidae | Syneta brevitibialis | Kimoto | Nara JAPAN | | | | |
| ハムシ科 | | | Chrysomelidae | Taiwanaenidea strigosa | KIMOTO | | | T.Shibata Coll. (deposit) | | |
| ヒゲナガゾウムシ科 | | | Anthribidae | Acorynus luzonicus lanhsuanus | Shibata | | | T.Shibata Coll. (deposit) | | |
| ヒゲナガゾウムシ科 | | | Anthribidae | Acorynus poecilus | Shibata | | | T.Shibata Coll. (deposit) | | |
| ヒゲナガゾウムシ科 | | | Anthribidae | Acorynus singularis | Shibata | | | T.Shibata Coll. (deposit) | | |
| ヒゲナガゾウムシ科 | | | Anthribidae | Atinellia affinis | Shibata | | | T.Shibata Coll. (deposit) | | |
| ヒゲナガゾウムシ科 | | | Anthribidae | Atinellia siganata | Shibata | | | T.Shibata Coll. (deposit) | | |
| ヒゲナガゾウムシ科 | | | Anthribidae | Atinellia tessellata | Shibata | | | T.Shibata Coll. (deposit) | | |
| ヒゲナガゾウムシ科 | | | Anthribidae | Atinellia variegata | Shibata | | | T.Shibata Coll. (deposit) | | |
| ヒゲナガゾウムシ科 | | | Anthribidae | Autotropis fulvescens | Shibata | | | T.Shibata Coll. (deposit) | | |
| ヒゲナガゾウムシ科 | | | Anthribidae | Cedus amabilis | Shibata | | | T.Shibata Coll. (deposit) | | |
| ヒゲナガゾウムシ科 | | | Anthribidae | Cedus insignis | Shibata | | | T.Shibata Coll. (deposit) | | |
| ヒゲナガゾウムシ科 | | | Anthribidae | Cedus japonicus | Shibata | | | T.Shibata Coll. (deposit) | | |
| ヒゲナガゾウムシ科 | | | Anthribidae | Cedus prominens | Shibata | | | T.Shibata Coll. (deposit) | | |
| ヒゲナガゾウムシ科 | | | Anthribidae | Choragus konishii | Shibata | | | T.Shibata Coll. (deposit) | | |
| ヒゲナガゾウムシ科 | | | Anthribidae | Dendrotrogus ohkurai | Shibata | | | T.Shibata Coll. (deposit) | | |
| ヒゲナガゾウムシ科 | | | Anthribidae | Deropygus cavus | Shibata | | | T.Shibata Coll. (deposit) | | |
| ヒゲナガゾウムシ科 | | | Anthribidae | Deropygus maedai | Shibata | | | T.Shibata Coll. (deposit) | | |
| ヒゲナガゾウムシ科 | | | Anthribidae | Deropygus uedai | Shibata | | | T.Shibata Coll. (deposit) | | |
| ヒゲナガゾウムシ科 | | | Anthribidae | Enedreytes gotoi | Shibata | | | T.Shibata Coll. (deposit) | | |
| ヒゲナガゾウムシ科 | | | Anthribidae | Hypseus decoratus | Shibata | | | T.Shibata Coll. (deposit) | | |
| ヒゲナガゾウムシ科 | | | Anthribidae | Hypseus incertus | Shibata | | | T.Shibata Coll. (deposit) | | |
| ヒゲナガゾウムシ科 | | | Anthribidae | Illis anna | Shibata | | | T.Shibata Coll. (deposit) | | |
| ヒゲナガゾウムシ科 | | | Anthribidae | Illis eliza | Shibata | | | T.Shibata Coll. (deposit) | | |
| ヒゲナガゾウムシ科 | | | Anthribidae | Japanthribus kusuii | Shibata | | | T.Shibata Coll. (deposit) | | |
| ヒゲナガゾウムシ科 | | | Anthribidae | Litocerus communis amamianus | Shibata | | | T.Shibata Coll. (deposit) | | |
| ヒゲナガゾウムシ科 | | | Anthribidae | Litocerus kimurai | Shibata | | | T.Shibata Coll. (deposit) | | |
| ヒゲナガゾウムシ科 | | | Anthribidae | Litocerus tokarensis insensibilis | Shibata | | | T.Shibata Coll. (deposit) | | |
| ヒゲナガゾウムシ科 | | | Anthribidae | Litocerus tokarensis ogasawaranus | Shibata | | | T.Shibata Coll. (deposit) | | |
| ヒゲナガゾウムシ科 | | | Anthribidae | Litocerus tokarensis yoshimii | Shibata | | | T.Shibata Coll. (deposit) | | |
| ヒゲナガゾウムシ科 | | | Anthribidae | Litocerus tuberculatus | Shibata | | | T.Shibata Coll. (deposit) | | |
| ヒゲナガゾウムシ科 | | | Anthribidae | Mecotropis taiwanus | Shibata | | | T.Shibata Coll. (deposit) | | |
| ヒゲナガゾウムシ科 | | | Anthribidae | Melanopsacus inaequalis | Shibata | | | T.Shibata Coll. (deposit) | | |
| ヒゲナガゾウムシ科 | | | Anthribidae | Nessiodocus propinquus | Shibata | | | T.Shibata Coll. (deposit) | | |
| ヒゲナガゾウムシ科 | | | Anthribidae | Nessiodocus trifasciatus | Shibata | | | T.Shibata Coll. (deposit) | | |
| ヒゲナガゾウムシ科 | | | Anthribidae | Paraphloeobius brevis albescens | Shibata | | | T.Shibata Coll. (deposit) | | |
| ヒゲナガゾウムシ科 | | | Anthribidae | Peibathys inouei | Shibata | | | T.Shibata Coll. (deposit) | | |
| ヒゲナガゾウムシ科 | | | Anthribidae | Phaulimia angulata | Shibata | | | T.Shibata Coll. (deposit) | | |
| ヒゲナガゾウムシ科 | | | Anthribidae | Phaulimia minor | Shibata | | | T.Shibata Coll. (deposit) | | |
| ヒゲナガゾウムシ科 | | | Anthribidae | Phaulimia vicina | Shibata | | | T.Shibata Coll. (deposit) | | |
| ヒゲナガゾウムシ科 | | | Anthribidae | Phloeobius planatus | Shibata | | | T.Shibata Coll. (deposit) | | |
| ヒゲナガゾウムシ科 | | | Anthribidae | Phloeobius stenoides | Shibata | | | T.Shibata Coll. (deposit) | | |
| ヒゲナガゾウムシ科 | | | Anthribidae | Physopterus taiwanus | Shibata | | | T.Shibata Coll. (deposit) | | |
| ヒゲナガゾウムシ科 | | | Anthribidae | Plintheria caliginosa | Shibata | | | T.Shibata Coll. (deposit) | | |
| ヒゲナガゾウムシ科 | | | Anthribidae | Plintheria diversa | Shibata | | | T.Shibata Coll. (deposit) | | |
| ヒゲナガゾウムシ科 | | | Anthribidae | Plintheria variolosa | Shibata | | | T.Shibata Coll. (deposit) | | |
| ヒゲナガゾウムシ科 | | | Anthribidae | Raphitropis carinatus | Shibata | | | T.Shibata Coll. (deposit) | | |
| ヒゲナガゾウムシ科 | | | Anthribidae | Raphitropis cylindricus | Shibata | | | T.Shibata Coll. (deposit) | | |
| ヒゲナガゾウムシ科 | | | Anthribidae | Raphitropis guttifer taiwanus | Shibata | | | T.Shibata Coll. (deposit) | | |
| ヒゲナガゾウムシ科 | | | Anthribidae | Raphitropis japonicus | Shibata | | | T.Shibata Coll. (deposit) | | |
| ヒゲナガゾウムシ科 | | | Anthribidae | Raphitropis midori | Shibata | | | T.Shibata Coll. (deposit) | | |
| ヒゲナガゾウムシ科 | | | Anthribidae | Raphitropis pigmaeus | Shibata | | | T.Shibata Coll. (deposit) | | |
| ヒゲナガゾウムシ科 | | | Anthribidae | Rphitropis communis | Shibata | | | T.Shibata Coll. (deposit) | | |
| ヒゲナガゾウムシ科 | | | Anthribidae | Sintor bipunctatus | Shibata | | | T.Shibata Coll. (deposit) | | |
| ヒゲナガゾウムシ科 | | | Anthribidae | Sintor dorsalis intermedius | Shibata | | | T.Shibata Coll. (deposit) | | |
| ヒゲナガゾウムシ科 | | | Anthribidae | Sintor pustulatus | Shibata | | | T.Shibata Coll. (deposit) | | |
| ヒゲナガゾウムシ科 | | | Anthribidae | Stenorhis bifoveolatus | Shibata | | | T.Shibata Coll. (deposit) | | |
| ヒゲナガゾウムシ科 | | | Anthribidae | Tropiderus insularis | Shibata | | | T.Shibata Coll. (deposit) | | |
| ヒゲナガゾウムシ科 | | | Anthribidae | Tropiderus nanus | Shibat | | | T.Shibata Coll. (deposit) | | |
| ヒゲナガゾウムシ科 | | | Anthribidae | Uncifer discrepans | Shibata | | | T.Shibata Coll. (deposit) | | |
| ヒゲナガゾウムシ科 | | | Anthribidae | Uncifer hispidus | Shibata | | | T.Shibata Coll. (deposit) | | |
| ヒゲナガゾウムシ科 | | | Anthribidae | Uncifer sakoi | Shibata | | | T.Shibata Coll. (deposit) | | |