化石の残り方

化石には、生物の体や生活した痕がそのまま残っている場合と、地中で様々な変質作用を受けて組織が変化した場合があります。貝殻や骨など、もともと変質しにくい固い部分をもった生物は体の組織を残した状態で化石として見つかることがあります。しかし、多くの場合は地下水による溶脱、鉱物成分を多く含んだ地下水による置換、地熱による植物の炭化作用など様々な変質作用を受けます。その結果、様々な保存状態の化石ができます。

生物の体の化石の例

図:生物の体の化石の例

生物の生活の痕の化石の例

図:生物の生活の痕の化石の例

生物体が保存されている化石

  • 画像:ケサイの下顎骨
    ケサイの下顎骨
    骨の質はほぼ生きていたときのままで,内部の空洞もそのまま残っている.更新世.ロシア・シベリア.長さ20cm.
  • 画像:マンモスの毛
    マンモスの毛
    シベリアの永久凍土からは,普通なら腐ってなくなる毛や筋肉も化石として掘り出される.更新世.ロシア・シベリア.巻きの直径11 cm.
  • 画像:ポドシルティス
    ポドシルティス
    放散虫(海で浮遊生活をする原生動物)の骨格. 始新世. ハワイ沖の海底堆積物. 長さ0.4mm.
  • 画像:バイ
    バイ
    貝殻の模様まで残っている化石.完新世.大阪市浪速区.高さ7.3cm.
  • 画像:ツゲ属(ツゲ科)の一種
    ツゲ属(ツゲ科)の一種
    葉の縁を縁取る葉脈がある.更新世.大阪府柏原市.長さ1.9cm.
  • 画像:モミ属(マツ科)の花粉
    モミ属(マツ科)の花粉
    花粉膜をつくるスポロポレニンは丈夫なので化石として残りやすい.半球状の気嚢をもつ.更新世.神戸市東灘ボーリングコア.幅約0.1mm.本郷美佐緒氏写真提供.
  • 画像:サイクロカリア属(クルミ科)の花粉
    サイクロカリア属(クルミ科)の花粉
    4つの発芽孔をもつ.日本からは消滅した植物.更新世.神戸市東灘ボーリングコア.幅約0.04mm.本郷美佐緒氏写真提供.

生物体が鉱物に置き換わった化石

  • 画像:ゼンマイ科の木生シダ
    ゼンマイ科の木生シダ
    ひし形の模様は葉の断面.白い鉱物(めのう)が葉の軸を置き換えている.ペルム紀.オーストラリア.直径22cm.
  • 画像:ゼンマイ科の木生シダの拡大
    ゼンマイ科の木生シダの拡大
    ゼンマイ科の木生シダの拡大
  • 画像:ナンヨウスギ属(ナンヨウスギ科)の一種の球果
    ナンヨウスギ属(ナンヨウスギ科)の一種の球果
    種子の中の細長い白い部分は胚.ジュラ紀.アルゼンチン産.長さ6.3cm.
  • 画像:広葉樹の材
    広葉樹の材
    広葉樹の材珪酸分で置換され固くなっている.形成されたのは中新世であるが,中新世の地層から侵食・運搬され,更新世の地層の中に礫として含まれていた.更新世(形成は中新世).三重県桑名市.直径53cm.
  • 画像:広葉樹の材の横断面の拡大
    広葉樹の材の横断面の拡大
    横断面の拡大.年輪が観察できる.中心から外に向かって伸びるのは放射組織.写真の幅14cm.

生物体が失われた化石

  • 画像:巻き貝の一種
    巻き貝の一種
    貝殻は消失し,貝殻の内部に入った砂が残されている.貝殻は無いが巻き貝の内部の特徴を知ることができる.白亜紀後期.大阪府泉南市.高さ3.3cm.
  • 画像:ゴードリセラスの一種
    ゴードリセラスの一種
    右のアンモナイトの殻の模様が岩石に残されている.白亜紀.北海道美唄市.幅6.7cm.
  • 画像:ゴードリセラスの一種
    ゴードリセラスの一種
    左の化石にこの化石のアンモナイトの殻の模様が岩石に残されている.白亜紀.北海道美唄市.幅6.7cm.
  • 画像:ナナカマド属(バラ科)の一種
    ナナカマド属(バラ科)の一種
    この画像と右の画像は,岩石を割ってできるペアの化石.左の葉の葉脈の部分はへこんでいるが,右の葉脈の部分は出っ張っている.葉脈は葉の裏側に出っ張るので,左は葉の裏側の葉脈の痕を記録した化石.中新世後期.鳥取県佐治村.長さ5cm.
  • 画像:ナナカマド属(バラ科)の一種
    ナナカマド属(バラ科)の一種
    左の画像と岩石を割ってできるペアの化石.左の葉の葉脈の部分はへこんでいるが,右の葉脈の部分は出っ張っている.葉脈は葉の裏側に出っ張るので,左は葉の裏側の葉脈の痕を記録した化石.中新世後期.鳥取県佐治村.長さ5cm.

生物体が変質した化石

  • 画像:石炭
    石炭
    地熱や圧力の影響で植物の組織が変質したもの.漸新世.佐賀県肥前町.標本の厚さ10cm.

生物の生活の痕の化石

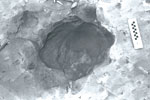
  • 画像:ゾウの足跡化石
    ゾウの足跡化石
    右やや上が前方向で指の痕が見られる.前足と後足が重なった足跡化石.更新世.滋賀県湖南市.全体の長さ43cm.
  • 画像:環形動物のはい痕
    環形動物のはい痕
    エサを食べてはった痕と考えられている.中新世.和歌山県白浜町.標本の幅13cm.
  • 画像:ストロマトライト
    ストロマトライト
    シアノバクテリアの生活した痕が層になっている.先カンブリア時代.カナダ.断面の高さ36cm.神奈川県立生命の星・地球博物館所蔵.
  • 画像:雄しべを含む琥珀
    雄しべを含む琥珀
    琥珀は植物の樹液が化石となったもの。漸新世. ドミニカ.幅3cm.
  • 画像:琥珀に閉じこめられたヒシウンカの一種
    琥珀に閉じこめられたヒシウンカの一種
    漸新世.ドミニカ.琥珀の長さ3cm.

偽化石(化石のように見えるが化石ではないもの)

  • 画像:しのぶ石
    しのぶ石
    シダ植物の化石のように見えるが,岩石の隙間に二酸化マンガンが浸みだし結晶になったもの.ジュラ紀.ドイツ.岩石の高さ8cm.

このページの先頭に戻る

Copyright©2012 OsakaMuseum of Naturel History All Rights Reserved.